Tornadoes of 2012

Tornadoes of 2012
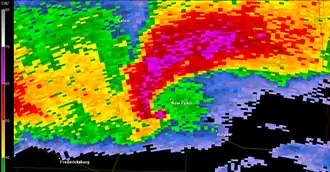
Clockwise from top: Radar imagery of an EF4 tornado near New Pekin, Indiana on March 2, depicting a debris ball on base reflectivity; Remains of a home near Crittenden, Kentucky following an EF4 tornado on March 2; EF3 damage to a home in Moscow, Ohio after a tornado on March 2; EF3 damage to a home in Forney, Texas after a tornado on April 3; A destroyed forest in Poland following an F3 tornado on July 14.
TimespanJanuary 9 – December 26, 2012
Maximum rated tornadoEF4 tornado
Tornadoes in U.S.939[1]
Damage (U.S.)~$1.6 billion[2]
Fatalities (U.S.)69[3]
Fatalities (worldwide)91

This page documents the tornadoes and tornado outbreaks of 2012. Extremely destructive tornadoes form most frequently in the United States, Bangladesh, Brazil and eastern India, but they can occur almost anywhere under the right conditions. Tornadoes also appear regularly in neighboring southern Canada during the Northern Hemisphere's summer season, and somewhat regularly in Europe, Asia, Argentina, and Australia.

There were 939 tornadoes confirmed in the U.S. in 2012. Worldwide, 91 fatalities have been confirmed: 69 in the United States, six in Turkey, five each in China and Indonesia, three in New Zealand and one each in Italy, Japan and Poland.

Synopsis

Map of all killer tornadoes within the United States in 2012. Only affected counties with fatalities are highlighted along the tracks.

The year began with an unusual number of tornadoes during January 2012. The first major tornado outbreak occurred on January 22–23, when a spring-like system moved across the southern Mississippi valley, producing at least two dozen confirmed tornadoes across Arkansas, Kentucky, Mississippi, Tennessee, and Alabama. As a whole, January was the third most active on record, behind 1999 and 2008. Despite this, a significant contrast in activity occurred for the month of February. Despite a slow beginning, the month of February ended with a significant tornado outbreak on the 28th and 29th with a strong EF4 doing significant damage and killing eight in Harrisburg, Illinois. Another ramp-up in activity occurred in early March, with one of the largest outbreaks ever recorded in the United States for that time of the year. This outbreak produced 160 reported tornadoes, and affected areas across Indiana and Kentucky in particular. Using the adjusted preliminary tornado count (85% of the total preliminary reports in order to remove overcount), 2012 attained record tornado activity on March 23 with 319 reports, eclipsing the previous record of 317.

A relative lull in tornado activity occurred in mid-March, but activity soon rose again by the end of the month when an EF2 killed one person on March 23 near Louisville, Kentucky. The beginning of April also started off active, with a tornado outbreak occurring in North Texas, including the Dallas–Fort Worth metroplex. An EF2 caused significant damage in the city of Arlington, where a state of disaster was declared. An EF3 also caused significant damage in Forney, Texas; despite this, no fatalities were reported throughout the outbreak. From April 13–16, an outbreak producing over 95 confirmed tornadoes swept across the Midwest, Kansas and Oklahoma in particular. A tornado emergency was issued for the city of Wichita late on April 14 as an EF3 moved across the southeastern portion of the city. A couple hours later, an EF3 in Oklahoma killed six people when it hit the city of Woodward just after midnight. One EF4 tornado was confirmed in Kansas on April 14, where it stripped trees of bark and destroyed a farmstead. On April 30, several tornadoes swept across Oklahoma and Kansas.

By contrast, May was much quieter than usual for what is normally the most active month. Several minor outbreaks were spread around the month but no major outbreaks and no fatalities took place. June was also quiet, although there were a few small outbreaks. These included an EF2 on June 4 that caused three fatalities in Diehlstadt, Missouri, and a small outbreak in Florida associated with Tropical Storm Debby that killed one person.

The summer months were among the quietest on record as a persistent ridge prevented any significant storms from developing in the United States, as cooler air was unable to penetrate southward and was held into Canada (similar to February 2010 when warm air was suppressed into the Caribbean). July was very quiet with only 35 confirmed tornadoes. August and September were also generally very quiet as well, broken only by an active period after Hurricane Isaac made landfall, producing a sizable multi-day tornado outbreak.

October continued to be quiet with only 30 confirmed tornadoes throughout the month. As of November 25, 2012, 2012 ranks as the quietest year for tornadoes in the United States, with an estimated 885 tornadoes, below the previous record minimum for that point in the year of 920 tornadoes. Unlike 2011, 2012 went without an EF5 tornado.

North America

A map of 2012 United States tornado paths from the results of storm surveys.
A chart of the 2012 United States tornado count estimated from the number of preliminary reports

United States yearly total

Confirmed tornadoes by Enhanced Fujita rating
EFU EF0 EF1 EF2 EF3 EF4 EF5 Total
0 583 241 94 26 4 0 939


Fatal United States tornadoes in 2012
Tornadoes of 2012 is located in the United States
Tornadoes of 2012
Tornadoes of 2012
Tornadoes of 2012
Tornadoes of 2012
Tornadoes of 2012
Tornadoes of 2012
Tornadoes of 2012
Tornadoes of 2012
Tornadoes of 2012
Tornadoes of 2012
Tornadoes of 2012
Tornadoes of 2012
Tornadoes of 2012
Tornadoes of 2012
Tornadoes of 2012
Tornadoes of 2012
Tornadoes of 2012
Tornadoes of 2012
Tornadoes of 2012
Tornadoes of 2012
Tornadoes of 2012
Tornadoes of 2012
Approximate touchdown location of killer tornadoes in 2012
Summary of tornadoes[4]
Total fatalities: 69

January 9–11

Radar image of the severe thunderstorm that spawned an EF1 tornado near Mission Bend, Texas on January 9.
EFU EF0 EF1 EF2 EF3 EF4 EF5
0 5 1 2 0 0 0

On the morning of January 9, a mid-level area of low pressure moved east-northeast across the Big Bend of Texas and triggered the development of a surface low in southeastern Texas before noon local time. Along the eastern side of this system, warm, moist air from the Gulf of Mexico was drawn northward and created an environment favoring supercell thunderstorms, though widespread clouds limited the extent of activity.[5] A line of strong thunderstorms developed in southeastern Texas around 9:00 a.m. CST moved slowly eastward. Only isolated reports of damaging winds and a few tornadoes accompanied this line and no tornado or severe thunderstorm watches were issued.[6] Five tornadoes touched down in association with this line of storms, one of which was an EF1 that caused significant damage to a home near Mission Bend, Texas.[7]

Developing into an upper-level system over the Ark-La-Tex region on January 10, the risk for more widespread severe weather was evident; however, only isolated reports were received that day.[8][9] Continuing eastward, additional severe weather was expected along coastal North Carolina on January 11 before the system moved into the Atlantic Ocean.[10] However, a severe storm developed in South Carolina and moved into western North Carolina, outside the area anticipated to support tornadoes, and soon spawned a tornado around 5:22 p.m. EST. Rated as a low-end EF2, the tornado tracked for 2.5 mi (4.0 km) and damaged or destroyed dozens of structures near Ellenboro. Ten people were injured by the storm. Continuing northeast, the thunderstorm spawned another, more intense EF2 tornado around 6:04 p.m. that caused extensive damage in the South Fork community. There, several mobile homes were completely destroyed and a few homes sustained significant damage. Eight people in the community were injured by the tornado. Another EF0 tornado touched down less than 20 minutes later before the event ended.[11]

January 17

EFU EF0 EF1 EF2 EF3 EF4 EF5
0 4 5 2 0 0 0

As a line of intense thunderstorms moved southward throughout much of the Ohio River Valley and Southeast, many tornadoes were reported. The first tornado of the day occurred near Madison, Indiana, and was rated an EF0 on the Enhanced Fujita scale; only minor damage was reported. The second tornado occurred in Floyd County, Indiana, which destroyed portions of homes and trees; it was later rated an EF1. The third tornado touched down near Clarksville, Indiana, and was rated an EF0 due to the minor damage it caused. One of the first confirmed tornadoes on January 17 was an EF1 near St. Matthews, Kentucky, which injured a truck driver on I-265. The most significant tornado was an EF2 southwest of Scottsville, Kentucky, that tore the roof from one home and destroyed numerous weaker structures. Another EF2 tornado destroyed a mobile home and badly damaged several permanent homes near Sandy Hook, Mississippi. A total of 14 tornado reports were called in this day.

January 22–23

EF3 damage to a house in Center Point, Alabama.
EFU EF0 EF1 EF2 EF3 EF4 EF5
0 5 10 9 1 0 0

On January 22, the Storm Prediction Center issued a moderate risk for severe weather across parts of the Southern United States and Ohio Valley. Late that afternoon, a Particularly Dangerous Situation tornado watch was issued for much of Arkansas and parts of Tennessee and Mississippi. At sunset, multiple discrete supercell thunderstorms developed over Arkansas and began producing significant tornadoes. An EF2 tornado impacted the northwestern fringes of Fordyce, Arkansas, damaging or destroying multiple homes, collapsing metal truss towers, and heavily damaging a local country club. Another EF2 tornado near Sweden, Arkansas, severely damaged a metal building, a radio tower, large grain bins, vehicles, and farm machinery. Two separate tornadoes, rated EF2 and EF1, caused considerable damage to metal truss towers, outbuildings, trees, and power poles near De Witt. Further to the east, multiple mobile homes were destroyed by an EF2 tornado near Alligator, Mississippi. While much of this outbreak was centered across the deep south, several tornadoes touched down further to the north as well. This included an EF2 tornado that touched down near Enfield, Illinois, and destroyed many barns, outbuildings, and garages along its path, as well as a communications tower. An EF1 tornado caused moderate damage in the town of Hazel, Kentucky, as well. Further south, the storms pushed eastward and grew upscale into and organized squall line around midnight.

Overnight and into the very early morning hours, another round of discrete supercell activity developed ahead of the squall line as the storms pushed into Alabama. This resulted in a wave of significant tornadoes that raked across the state just before sunrise. An EF2 tornado heavily damaged or destroyed many homes and mobile homes in the rural community of Oak Grove, killing one person. The most significant tornado of the event was a destructive EF3 tornado that severely impacted parts of the Birmingham metro. This tornado touched down near Tarrant before tearing through Center Point, Chalkville, and Clay, killing one person and destroying hundreds of homes and businesses.[12] Another damaging, long-tracked EF2 tornado first snapped and uprooted thousands of trees in the Talladega National Forest before striking Maplesville, heavily damaging or destroying multiple homes and businesses in town before eventually dissipating near Clanton.[13] Overall, this outbreak produced 25 tornadoes and two deaths. Across Alabama alone, insurers estimated damage from the tornadoes to have been at least $30 million.[14]

January 25–27

EFU EF0 EF1 EF2 EF3 EF4 EF5
0 22 7 0 0 0 0

On January 25, several tornadoes were reported in Texas and Louisiana with a strong storm system that dumped heavy rain across Texas. One of these tornadoes, rated EF1, struck Austin, Texas, and caused considerable damage to homes and businesses.[15] Losses throughout the city amounted to $1.5 million.[16] A day later on January 26, four more tornadoes were confirmed and on January 27, one tornado was confirmed. Throughout the entire outbreak, 29 tornadoes were confirmed, however, all were weak.

February 28–29

EF4 damage to a shopping center in Harrisburg, Illinois.
EFU EF0 EF1 EF2 EF3 EF4 EF5
0 10 13 17 1 1 0

A significant and deadly tornado outbreak began in the Great Plains on February 28, as supercell thunderstorms developed and multiple tornadoes touched down across the region. An EF2 tornado struck the small town of Harveyville, Kansas, during the late evening hours, killing one person and injuring 12 others.[17] The town's only church was completely destroyed, several homes received moderate to severe damage, and every building in the small community received a form of damage. As the storms moved into Missouri later that night and into the early morning hours of February 29, numerous strong tornadoes touched down. An EF2 devastated a mobile home park and killed one person near Buffalo, while an EF3 caused another fatality and destroyed homes near Asherville. By 3:00 am CST on February 29, Branson, Missouri, was reporting injuries and severe damage to the town from an EF2 tornado, with homes destroyed and several hotels, businesses, and theaters sustaining severe damage.[18] Three other deaths occurred in southern Missouri.[19]

As the storms moved into Illinois in the pre-dawn hours, they merged into an intense squall line with embedded semi-discrete supercell thunderstorms. A violent EF4 tornado touched down and ripped through the city of Harrisburg, destroying entire neighborhoods, flattening businesses, and killing 8 people before causing additional destruction in the neighboring town of Ridgway. After sunrise, additional supercells developed and produced numerous tornadoes across Kentucky and Tennessee. Two tornadoes, rated EF1 and EF2, caused significant damage in Greenville, Kentucky. The town of Hodgenville, Kentucky, also sustained heavy damage from two separate EF2 tornadoes. An EF1 tornado caused a fatality near Smithville, Tennessee, and an EF2 destroyed homes and killed two more people near Tennessee before the outbreak came to an end. A total of 42 tornadoes were confirmed, and 15 people were killed.[20]

March 2–3

EFU EF0 EF1 EF2 EF3 EF4 EF5
0 27 18 14 9 2 0

From March 2 to 3, a devastating and deadly outbreak of strong to violent tornadoes impacted the Southern United States and Ohio Valley. A moderate risk of severe weather was issued for March 2 a day in advance for a large area from near Tuscaloosa, Alabama, to Dayton, Ohio, as an intense storm system tracked across the region in a very highly sheared and unstable environment.[21] On the morning of March 2, it was upgraded and a high risk of severe weather was issued for Middle Tennessee and central Kentucky, later extended into central and southern Indiana and southern Ohio, including a 30% hatched risk area for tornadoes. The Storm Prediction Center mentioned the potential for multiple long-tracked, violent tornadoes. Multiple PDS tornado watches were issued shortly thereafter. For only the second time in history (the first being April 27, 2011, for the 2011 Super Outbreak), Dr. Greg Forbes, severe weather expert for The Weather Channel, issued a TOR:CON (short for "tornado condition index", a scale to rate the risk of tornadic activity over a given region based on atmospheric conditions) rating of 10 out of 10; this time for the Louisville, Kentucky region and along the Ohio River of Indiana and Kentucky.

Tornadoes began early; shortly after 9:00 am CST, an intense EF3 tornado north of Huntsville, Alabama, resulted in severe damage to houses and also caused damage at a school. A long-lived EF4 formed just north of the Ohio River that afternoon, resulting in extreme damage to numerous communities in southern Indiana, including Marysville and Henryville.[22] Another EF4 wedge tornado killed four people and obliterated homes near Crittenden, Kentucky, while a large EF3 killed three people and destroyed most of Moscow, Ohio. At around 6:00 pm EST, an EF3 tornado impacted downtown West Liberty, Kentucky, resulting in major damage and 10 deaths. A high-end EF3 tornado also caused major damage to many homes in businesses in Salyersville, Kentucky, killing two people along its path. Another high-end EF3 tornado touched down at 8:03 pm. This storm tracked into Haralson County, Georgia, and Paulding County, Georgia, where it caused major damage in the Dallas area before dissipating. There was a final tornado-related death toll of 41 people—22 in Kentucky, 14 in Indiana, four in Ohio and one in Alabama. A total of 70 tornadoes were confirmed as a result of this outbreak.[23]

March 9

On the morning of March 9, 2012, a particularly devastating and long-lived hailstorm hit the Hawaiian islands of Oahu and Lanai. This event produced the largest hailstone ever recorded in Hawaii since records began in 1950 and National Weather Service meteorologist Tom Birchard stated that the event was "unprecedented."[24][25] In addition to the spectacular early-morning lightning storms and flooding from the four feet (3.3 meters) of rainfall received, a tornadic waterspout formed off the coast of Oahu during the morning of March 9, 2012. This mesocyclone-induced waterspout tracked inland for 1.5 miles, becoming an EF0 tornado that caused minor damage to the Enchanted Lakes subdivision of Kailua at 7:10 am Hawaiian-Aleutian Time.[26]

March 15

EFU EF0 EF1 EF2 EF3 EF4 EF5
0 1 0 1 1 0 0

As a weak disturbance moved across the Ohio Valley, energy associated with the system, combined with abnormally warm temperatures, led to the formation of severe thunderstorms from Michigan to the Gulf States, where the Storm Prediction Center had already issued a Slight risk. As the day progressed, isolated thunderstorms began to form and quickly strengthened into tornado-producing cells across the state of Michigan, with Tornado Warnings being issued for Lenawee, Washtenaw, Lapeer, and Monroe Counties. After surveying the area, the National Weather Service confirmed three tornado touchdowns on March 15 across Michigan.[27] The first was an EF0, causing minor tree, structure, and power line damage. The second was rated an EF2, uprooting many trees and shifting a house off of its foundation 3 miles (4.8 km) south of Columbiaville, Michigan, 5 miles (8.0 km) northwest of Lapeer, Michigan.[28] The final was rated an EF3 on the Enhanced Fujita Scale, with winds between 135 and 140 miles per hour (217–225 km/h). This tornado impacted the city of Dexter, where severe structural damage was recorded and multiple homes were destroyed.[29][30][31][32][33][34][35]

March 18–24

EF2 damage to a house near LaCoste, Texas.
EFU EF0 EF1 EF2 EF3 EF4 EF5
0 36 17 8 2 0 0

A slow-moving cutoff low produced numerous tornadoes over a seven-day period, several of which were strong. On March 18, two EF3 tornadoes and two EF2 tornadoes destroyed homes and caused severe damage near North Platte, Nebraska. On March 19, several more strong EF2 tornadoes touched down in Southwest Texas, and several weak tornadoes impacted the San Antonio, Texas, area. Other tornadoes, a few of which were strong, touched down in Louisiana and Mississippi from March 20 and 22.[36] One person was slightly injured as a result of an EF2 tornado that struck the town of Gueydan, Louisiana. On March 23, several additional tornadoes were reported across Illinois, Indiana, Ohio, and Kentucky, including a high-end EF1 that caused heavy damage in the Louisville, Kentucky, suburbs. One person was killed and two others were injured when a high-end EF2 tornado obliterated a tied-down mobile home near Opdyke, Illinois. On March 24, a weak EF0 touched down in Florida as the system moved eastward and came to an end.[20]

April 3

EFU EF0 EF1 EF2 EF3 EF4 EF5
0 16 1 2 2 0 0
EF2 damage to homes in Lancaster, Texas.

During the afternoon and late evening of April 3, multiple tornadic supercell thunderstorms developed and moved through the Dallas–Fort Worth metroplex, producing multiple destructive tornadoes, injuring many people, and forcing a ground stomp at Dallas/Fort Worth International Airport.[37] In Lancaster, just south of Dallas, the Schneider National facility was impacted by a high-end EF2 tornado live on TV, and a news helicopter broadcast live video of large semi-trailers being lofted into the air at that location.[38][39] The city of Arlington was also hit by a damaging EF2 tornado and declared a state of disaster shortly afterward.[40] The first intense tornado of the outbreak was an EF3 that completely destroyed homes in Forney with wind speeds up to 150 mph. A second EF3 wedge tornado caused major damage near Royse City, Texas, as well. In addition, numerous weak tornadoes were also observed. Despite the severe damage and injuries, no fatalities occurred. A total of 21 tornadoes were confirmed as a result of this outbreak.[20]

April 13–16

EFU EF0 EF1 EF2 EF3 EF4 EF5
0 68 36 3 5 1 0

An impressive low pressure area and associated trough began tracking into the Great Plains on April 13, and a slight risk of severe weather was issued. The outlook mentioned the possibility of tornadoes, including the risk for isolated strong tornadoes. No strong tornadoes occurred, though an EF1 tornado caused considerable damage in Norman, Oklahoma. For only the second time in history (previously for April 7, 2006), a day two high risk [41] of severe weather was issued by the Storm Prediction Center. In the discussion, the SPC stated that a major tornado outbreak was likely across central Kansas and north-central Oklahoma during the afternoon and overnight hours of April 14, with long-tracked violent tornadoes likely. It was later expanded to include a second high risk area across much of Nebraska, where a rare 45% tornado probability was given during the late morning update on April 13. During the morning hours on the 14th, the high risk area was expanded again to combine the two separate areas into a single large one. Later in the day, the 45% tornado probability was shifted from Nebraska south to Kansas and northern Oklahoma. A large outbreak of tornadoes impacted the Great Plains states on April 14, and several PDS Tornado Warnings were issued during the outbreak. Initially, most of the tornadoes were small or remained over open country, though more significant tornado activity began to develop throughout the day. A high-end EF2 tornado struck Creston, Iowa, flipping vehicles and causing major structural damage to homes and other buildings in town. Another EF2 wedge tornado struck Thurman, Iowa, damaging 75% of the town. In Nebraska, a strong EF2 tornado destroyed outbuildings and badly damaged a home near Cook, while a large and violent EF4 tornado leveled a home and debarked trees near Marquette, Kansas.[42] Later that evening, a cyclic supercell thunderstorm developed in northern Oklahoma before moving into southern Kansas, producing multiple tornadoes along the way. This included a large EF3 wedge tornado that destroyed homes near Conway Springs. As this supercell moved into Wichita around 10:15 pm CDT (0315 UTC), another large EF3 wedge tornado touched down and caused major damage in the southeastern part of the city. Staff at the Wichita National Weather Service Weather Forecast Office at Wichita Mid-Continent Airport were forced to hand over responsibility for their County Warning Area to the National Weather Service offices in Topeka and take shelter at about 10:00 pm CDT (0300 UTC), returning to duty half an hour later. Another supercell thunderstorm also produced two EF3 wedge tornadoes that passed near Fellsburg and Hudson, causing significant damage.[43]

Around 10:00 p.m. CDT (0300 UTC), a broken squall line began to form across the eastern portions of the Texas and Oklahoma panhandles; a thunderstorm developed ahead of the northern line segment in northwestern Wheeler County, Texas, at approximately 10:30 p.m. CDT (0330 UTC), and began developing supercell characteristics as it tracked northeastward into the Oklahoma counties of Ellis and Roger Mills. A tornado warning was issued for Ellis, Harper and Woodward counties at 12:00 am CDT (0500 UTC) on April 15 after weather spotters reported a tornado spawned by this supercell located 7 miles (11 km) southeast of Gage in Ellis County.[44] This high-end EF3 tornado later struck Woodward, Oklahoma, at 12:20 am CDT (0520 UTC), killing six people. Multiple homes and businesses were destroyed in Woodward, and all fatalities occurred as a result of destroyed mobile homes.[45][46] Additional weak tornadoes occurred on April 15 and 16 before the outbreak came to an end. A total of 113 tornadoes were confirmed as a result of this outbreak.[20]

May 19

EFU EF0 EF1 EF2 EF3 EF4 EF5
0 7 1 0 2 0 0

On May 19, a localized outbreak of tornadoes occurred in south-central Kansas, to the west of Wichita. Two of these tornadoes were strong, both reaching EF3 intensity. One of these EF3 tornadoes severely damaged two farmsteads just northwest of Harper, Kansas, mangled vehicles and farm machinery, and partially debarked trees. The other EF3 occurred near Duquoin and badly damaged or destroyed several wind turbines. A wind speed measurement device attached to a 300 foot tall crane that was struck by this tornado recorded a 166 mph wind gust before the crane collapsed. Other weaker tornadoes touched down just to the north in the Spivey and Kingman areas.[47] Further to the south in Florida, a brief EF0 tornado touched down in St. Petersburg and ripped part of the roof off of a motel. A total of 10 tornadoes were confirmed.[48] Notably, most of these tornadoes developed from non-supercell processes.[49][50]

May 25

EFU EF0 EF1 EF2 EF3 EF4 EF5
0 5 4 4 0 0 0

On the evening of May 25, a small outbreak of tornadoes impacted southern Kansas, including a few strong tornadoes. A large EF2 was documented by numerous storm chasers as it passed near the town of La Crosse, causing significant damage to farmsteads, outbuildings, and trees. This tornado spawned two satellite tornadoes as well, including an EF1 that struck La Crosse directly, resulting in minor to moderate damage in town. The second satellite tornado was an EF2 that caused extensive tree damage. Just south of Russell, an EF2 tornado struck a subdivision and damaged several manufactured homes, completely destroying one of them. Another EF2 tornado caused significant damage to vegetation and power lines near Bison. A total of 13 tornadoes were confirmed.[51]

June 4

EFU EF0 EF1 EF2 EF3 EF4 EF5
0 2 0 1 0 0 0

An isolated, rain-wrapped EF2 tornado touched down in Diehlstadt, Missouri, late on June 4. It was only on the ground very briefly, but hit a mobile home while down, completely destroying the structure and killing three occupants. Trees and some warehouse buildings were also damaged, It was the first killer US tornado since the April 14 outbreak. The tornado was embedded in a larger area of microburst. A brief landspout tornado also touched down in Arkansas and was rated an EF0. Another brief EF0 tornado touched down in Texas. Neither of these weak tornadoes produced any damage.[52]

June 23–26 (Tropical Storm Debby)

EFU EF0 EF1 EF2 EF3 EF4 EF5
0 19 5 1 0 0 0

Several tornadoes were spawned from the outer bands of Tropical Storm Debby in the Florida peninsula. On the afternoon of June 23, at least one tornado touched down in Naples, Florida, with significant damage reported.[53] Further tornadoes touched down starting in the morning of June 24 and continuing through the day across several regions of Florida. One person was killed in Venus from an EF0 tornado there that damaged numerous houses.[54] At least 18 tornadoes were confirmed over the two-day period in Florida. The 10 tornadoes (all EF0) in South Florida was the region's largest tornado outbreak in over 50 years.[55]

August 27 – September 4 (Hurricane Isaac)

EFU EF0 EF1 EF2 EF3 EF4 EF5
0 26 6 2 0 0 0

On August 27, a rain band from Hurricane Isaac produced a brief EF0 tornado near Vero Beach, Florida, that damaged about 100 structures.[56] Two days later, on August 29, several weak tornadoes touched down across Alabama, Florida, and Mississippi in association with the landfall of Isaac.[57] This continued through September 1 as Isaac's remnants moved northward into the Midwest. Alabama, Mississippi, Arkansas, Missouri, Illinois, Indiana, Delaware, and New Jersey all recorded several, mostly weak, tornadoes until the remnants of Isaac moved away from the United States.[58][59]

September 8

EFU EF0 EF1 EF2 EF3 EF4 EF5
0 2 1 1 0 0 0

Just after midnight on the morning of September 8, a weak EF0 tornado touched down near Newtonsville, Ohio, and caused minor roof damage to a few homes.[60] The same day, late in the 10:00 am (EDT) hour, a waterspout formed just off the coast of Queens and moved onshore near Breezy Point. Once onshore, the storm caused structural damage and downed power lines. Damage continued into the Canarsie, Brooklyn area before the tornado dissipated.[61] This section of the tornado received a rating of EF0.[62] it then moved back over water and then back on shore as a stronger tornado in the Canarsie section of Brooklyn and was given a high-end EF1 rating.[63] Further west in New Jersey, 20,000 customers lost power.[64]

The storms were associated with a vigorous low pressure system that spawned severe weather across New England, Pennsylvania, New York as well as across the Canada–US border into southern Ontario and Quebec. An F0 tornado was also confirmed damaging a 5-story building and nearby businesses in downtown Drummondville, Quebec.[65] as well as an F2 east of Napanee, Ontario, which destroyed a trailer and a shed. The trailer rolled for about 30 meters.[66]

October 17–19

EFU EF0 EF1 EF2 EF3 EF4 EF5
0 2 10 2 1 0 0

During the evening hours of October 17, a fast-moving and powerful low-pressure system brought severe weather, including a small but damaging outbreak of tornadoes, to portions of the Southern United States and Eastern United States. In Arkansas, an EF1 tornado caused moderate damage to homes and businesses in the town of Clarendon. Farther east, an EF2 tornado tracked through areas near Shelby, Mississippi, downing a radio tower and destroying a mobile home, along with several outbuildings. Three separate tornadoes also touched down near the town of Louise, with two EF1 tornadoes that damaged roofs, outbuildings, and trees in the area, while an EF2 damaged or destroyed several mobile homes and snapped many power poles, injuring four. Tornado activity continued into the early morning hours of October 18, including an EF3 that passed near Forest, Mississippi, downing countless trees, destroying mobile homes and outbuildings, and bending three large metal high-tension poles to the ground. This tornado injured one person, and is one of only two EF3 tornadoes to ever be recorded in the state of Mississippi during the month of October.[67] Two other tornadoes, rated EF0 and EF1, were confirmed by the National Weather Service in Little Rock, Arkansas.[68] As the system moved eastward on October 19, two additional tornadoes, EF0 and EF1, touched down in Pennsylvania and Maryland. Several structures were damaged and 15 people were injured in the Pennsylvania tornado when a pavilion near Paradise collapsed. A total of 15 tornadoes were confirmed.[69][70]

October 31 (Canada)

A weak F0 tornado touched down near the town of Mont-Laurier, Quebec. A barn was destroyed and road signs were blown down by the tornado. Although not notable, it was the final tornado to be rated on the Fujita scale in Canada, as the Enhanced Fujita Scale was adopted by Environment Canada in April 2013.[71]

December 9–10

EFU EF0 EF1 EF2 EF3 EF4 EF5
0 4 5 0 0 0 0

A cold front produced severe thunderstorms across the Southern United States which spawned at least seven weak tornadoes.[72][73][74] A relatively long-track EF1 tornado traveled across two counties in southern Mississippi, destroying a barn, a gazebo, and a metal building.[75][76] Another EF1 tornado struck the Birmingham, Alabama, area, tearing part of the roof from a warehouse, and completely removing the roof of one home.[77] A high-end EF1 tornado struck a mobile home park near Edgewater, Florida, damaging over 60 homes and injuring two people.[78]

December 25–26

EFU EF0 EF1 EF2 EF3 EF4 EF5
0 10 11 8 2 0 0

A moderate risk of severe weather was issued for much of the Gulf Coast region as an intensifying area of low pressure tracked across the region starting on December 25.[79] It was extended to December 26 as well over parts of the Carolinas.[80] Several tornadoes were reported on December 25, especially across Louisiana and Mississippi.[81] At 5:00 pm CST (2300 UTC), a tornado emergency was issued for Downtown Mobile, Alabama, as a large EF2 tornado was approaching the downtown area.[82][83]

Europe

June 12 (Europe)

FU F0 F1 F2 F3 F4 F5
4 1 3 1 0 0 0
The F1 Venice tornado seen from a window of the Venice Marco Polo Airport.

A small outbreak of mostly weak tornadoes affected Europe on June 12. In Italy, a large stovepipe tornado was photographed and caught on video as it impacted the eastern fringes of Venice (Veneto, North-East Italy), notably the isles of Sant'Elena, Saint Erasmus and Lido, and the nearby town of Treporti. No casualties were reported, though considerable damage occurred, with many trees snapped and some small industrial buildings and outbuildings damaged or destroyed. Multiple sailboats were thrown and damaged, cars had windows shattered, greenhouses were destroyed, and several homes sustained considerable roof damage as well. The tornado was officially rated high-end F1, though some sources list it as an F2. A brief, weak tornado of unknown intensity also touched down near Torre di Fine, causing no damage. In Russia, several tornadoes also occurred, the most significant of which was an F2 that flattened a large swath of trees in a forest near Ryabeyevo in Tver Oblast. Two other tornadoes, rated F0 and F1, both caused minor damage near Khanty-Mansiysk as well. In Ukraine, a tornado of unknown intensity struck the Krylos area, downing many trees and power poles. 40 homes were also damaged along the path, some significantly. In Germany, an F1 tornado was confirmed near Ovenhausen in North Rhine-Westphalia, while a tornado of unknown intensity also touched down near Witten. A brief, weak tornado was also caught on video in Ireland, as it touched down in an open field near Enfield. In all, nine tornadoes were confirmed.[84][85][86][87][88]

July 14 (Poland)

FU F0 F1 F2 F3 F4 F5
0 0 1 0 2 0 0

Three tornadoes impacted the Pomerania region of Poland on July 14, two of which were strong and caused significant damage. The first was a large F3 stovepipe tornado that struck Barlewiczki, heavily damaging or destroying homes, barns, and businesses, downing many trees and power poles, tossing farm implements, and injuring several people before dissipating. A total of 22 buildings were damaged or destroyed by the Barlewiczki tornado, which was caught on video and photographed by numerous local residents. A second, this time a multi-vortex F3 tornado impacted the Wycinki area, completely flattening a massive swath of trees in the Bory Tucholskie National Park and damaging or destroying multiple homes. A 60-year-old man was killed in the complete destruction of his summer home near Wycinki, and multiple other people were injured along the path. This included a family of three that sustained injuries after a large tree crushed their home. In the latter stages, the tornado shrunk in size into a classic cone, eventually sidewinding before dissapation. The final tornado was an F1 that caused roof damage in Bagienica.[89][90][91]

November 16–17 (Europe)

FU F0 F1 F2 F3 F4 F5
0 2 0 0 1 0 0

On November 16, a warm and unstable air mass associated with a depression combined with favorable wind shear, brought an unusually favorable setup for severe weather and tornadoes to Portugal. Later that day, a strong semi-discrete supercell thunderstorm embedded within a Mesoscale Convective System developed, and produced a strong, long-tracked F3 wedge tornado that moved through Carvoeiro, Lagoa and Silves, Portugal, killing one person and injuring 13 others. Multiple concrete-frame apartment buildings and homes had heavy exterior damage, shattered windows, and roofs torn off, while numerous vehicles were thrown and severely damaged. Many large trees were snapped and denuded along the path of the tornado, a few of which sustained debarking. A metal truss high-tension tower was blown over, and a soccer stadium was heavily damaged, with multiple large masonry walls collapsed. Some industrial buildings were also damaged, power poles were snapped, and metal light poles were bent to the ground as well.[92] The following day, two brief F0 tornadoes touched down in Spain as a result of the same storm system, resulting in only minor damage.[88]

November 27–29 (Europe)

FU F0 F1 F2 F3 F4 F5
0 0 5 1 1 0 0

A small, but damaging three-day outbreak of tornadoes that affected the Mediterranean region of Europe began in Italy on November 27, with an F1 tornado that moved through Rosignano Marittimo. Multiple homes in residential areas sustained heavy roof damage, windows were broken, trees were downed, while fencing and sheds were destroyed. On November 28, a large, multiple-vortex, F3 wedge tornado caused major damage in an industrial section of Taranto. Multiple industrial buildings at the Ilva steel plant were severely damaged, a large reinforced concrete chimney was completely destroyed, and a massive multi-ton crane was lifted and toppled at this location. Multiple vehicles were tossed into piles and damaged, and some were thrown considerable distances and severely mangled. Metal power pylons were blown to the ground, while a gas station and several other structures were also damaged. One person was killed by the Taranto tornado, and 40 others were injured. An F1 tornado from the same parent supercell struck the Monopoli area the same day, causing roof, window, and tree damage.[93][94] The outbreak continued eastward on November 29, with multiple tornadoes causing damage in Greece. Near Preveza, an F1 tornado snapped many trees, damaged some farms, and destroyed signs and greenhouses along its path. Another F1 destroyed a warehouse, an open-air canteen, and a garage in the Argassi area. The strongest tornado to occur that day was an F2 that touched down near Katakolo and uprooted hundreds of olive trees, and also destroyed the roofs of several structures, along with some metal shelter buildings. An F1 tornado also downed many trees near Alfeiousa before the outbreak came to an end. A total of seven tornadoes were confirmed.[88]

Asia

February 24 (Indonesia)

On February 24, a strong tornado struck South Sulawesi province in Indonesia, killing five people and damaging or destroying 98 structures.[95]

April 9 (Turkey)

A destructive F2 tornado struck a construction site in Elazığ Province, Turkey, killing six people and injuring seven others. All of the fatalities took place at a housing complex within the construction site in Maden. A storage container, a tractor, and multiple trucks were tossed. Several homes were reportedly damaged or destroyed along the 11 km (6.8 mi) path of the tornado, and significant damage was also observed in Dutpinar and Kaşlıca.[96][97]

May 6 (Japan)

FU F0 F1 F2 F3 F4 F5
0 0 1 0 1 0 0
Damage to an apartment building following the F3 Tsukuba, Japan tornado.

On May 6, a powerful and destructive high-end F3 tornado tracked through the town of Tsukuba, Ibaraki roughly 40 mi (64 km) away from Tokyo, Japan, killing one person and injuring thirty-seven others.[98] Many homes were damaged or destroyed by the tornado, including a few that were leveled or swept clean from their foundations. One house was rolled onto its roof and collapsed, pulling its entire concrete slab foundation out of the ground in the process. Homes that remained intact sustained loss of roofs and exterior walls, and were shredded by flying debris. Metal warehouse buildings sustained severe damage as the tornado impacted industrial areas of town, and a large 5-story apartment building sustained major damage to its exterior and interior. Trees were snapped and debarked, power poles were downed, and many vehicles were tossed, piled atop each other, and destroyed. Large amounts of sheet metal roofing was scattered throughout the damage path, much of which was wrapped around power lines. Masonry fences were toppled over, and a gas station canopy was destroyed as well.[99] The tornado destroyed 76 houses and left a damage path roughly 17 km long.[98] The Tsukuba tornado was clearly visible on radar while it was on the ground, with a hook echo and mesocyclone evident. A second tornado, rated F1, struck Moka, Tochigi and injured one person as well.[100]

July 21 (China)

A strong EF3 tornado touched down in the southeastern fringes of Beijing on July 21. Multiple buildings were impacted by the tornado, some of which sustained major structural damage. A factory sustained roof loss and collapse of several brick exterior walls, while a nearby factory building was leveled. Other factories and structures sustained partial to total roof loss, and several motorcycles and a mini-van were thrown. Outbuildings, greenhouses, and storage structures were also destroyed, and a bicycle shed had its supporting pillars pulled out of the ground. Many trees were snapped or uprooted along the path, some of which were denuded and debarked. A few homes had their roofs torn off, and metal electrical pylons and masonry fences were toppled over as well. Two people were killed by the tornado, and several others were injured.[101]

Elsewhere

March 20 (Australia)

At 5 am, an F2 tornado struck the suburb of Vincent in Townsville, Queensland. The tornado ripped roofs off of homes and businesses and was accompanied by heavy rain. Vehicles were flipped, and trees and power poles were snapped. Damage was said to be "worse than Yasi".[102]

April 4 (Argentina)

FU F0 F1 F2 F3 F4 F5
0 0 2 2 0 0 0

On April 4, 2012, a strong storm styem in the shape of a bow echo formed in the province of Buenos Aires and its storms affected most of the Greater Buenos Aires area, including Ciudad de Buenos Aires. The storm system killed 17 people, injured 893, and inflicted material damage valued at 275.5 million Argentine pesos. For their level of destruction and peculularity, these storms are the most destructive to hit the Buenos Aires-La Plata metropolitan area in its history.[103]

Diego Santilli, the minister of the Argentine Ministry of Environment and Public Space, stated that these storms were the result of climate change, and an ongoing "tropicalization of Buenos Aires."[104]

June 7 (Australia)

A damaging high-end F1 tornado tore through the northern suburbs of Dianella and Morley in Perth, Western Australia at about midday. Multiple homes sustained considerable roof damage, trees were downed, and a video store was badly damaged. Winds associated with the tornado were estimated at 180 km/h (110 mph).[105][106]

August 26 (Australia)

Two short-lived tornadoes touched down in the suburbs of Adelaide, South Australia. The tornadoes brought extensive damage to homes, trees and powerlines.[107]

December 6 (New Zealand)

A rain-wrapped EF2 tornado killed three people and injured seven others in the Auckland, New Zealand suburb of Hobsonville. The tornado moved through several neighborhoods and a construction site, with the three fatalities occurring at the construction site when several large concrete slabs fell and crushed a vehicle. 150 homes were damaged, a few of which had large portions of their roofs torn off. Numerous trees were snapped or uprooted along the path, and fencing was destroyed.[108] This tornado is tied with the 1948 Hamilton tornado as the deadliest on record in New Zealand.[109]

See also

References

  1. ^ "2012 Tornadoes by EF-Scale". Storm Prediction Center. National Oceanic and Atmospheric Administration. Archived from the original on May 18, 2015. Retrieved May 10, 2015.
  2. ^ "United States Tornadoes of 2012" (PDF). Storm Prediction Center. Archived (PDF) from the original on September 26, 2020. Retrieved January 13, 2013.
  3. ^ "Annual U.S. Killer Tornado Statistics". Storm Prediction Center. National Oceanic and Atmospheric Administration. Archived from the original on February 3, 2016. Retrieved January 18, 2016.
  4. ^ "Annual U.S. Killer Tornado Statistics". Storm Prediction Center. National Oceanic and Atmospheric Administration. Retrieved July 21, 2022.
  5. ^ Thompson and Cohen (January 9, 2012). "Jan 9, 2012 1630 UTC Day 1 Convective Outlook". Storm Prediction Center. National Oceanic and Atmospheric Administration. Archived from the original on February 3, 2016. Retrieved January 28, 2012.
  6. ^ Broyles (January 9, 2012). "Mesoscale Discussion 10". Storm Prediction Center. National Oceanic and Atmospheric Administration. Archived from the original on January 12, 2012. Retrieved January 28, 2012.
  7. ^ "January 9, 2012 Severe Weather". National Weather Service Office in Galveston, Texas. National Oceanic and Atmospheric Administration. January 17, 2012. Archived from the original on January 27, 2012. Retrieved January 28, 2012.
  8. ^ Jewell and Leitman (January 10, 2012). "Jan 10, 2012 0600 UTC Day 1 Convective Outlook". Storm Prediction Center. National Oceanic and Atmospheric Administration. Retrieved January 28, 2012.
  9. ^ "January 10, 2012 Storm Reports (1200 – 1159 UTC)". Storm Prediction Center. National Oceanic and Atmospheric Administration. January 20, 2012. Archived from the original on April 15, 2012. Retrieved January 28, 2012.
  10. ^ Thompson and Cohen (January 11, 2012). "Jan 11, 2012 1630 UTC Day 1 Convective Outlook". Storm Prediction Center. National Oceanic and Atmospheric Administration. Archived from the original on February 3, 2016. Retrieved January 28, 2012.
  11. ^ "Tornadoes Confirmed in Rutherford, Burke, and Caldwell Counties in North Carolina". National Weather Service Office in Greenville-Spartanburg, South Carolina. National Oceanic and Atmospheric Administration. January 20, 2012. Archived from the original on January 23, 2012. Retrieved January 28, 2012.
  12. ^ "Tornadoes on January 23, 2012". Archived from the original on November 10, 2013. Retrieved January 15, 2014.
  13. ^ "National Weather Service Text Product Display". Forecast.weather.gov. Archived from the original on January 12, 2012. Retrieved 2012-12-07.
  14. ^ Jeremy, Colleen (January 27, 2012). "Alabama falls victim to yet another outbreak of tornadoes this week – estimated cost of disaster at $30 million". Live Insurance News. Archived from the original on February 1, 2012. Retrieved January 28, 2012.
  15. ^ "Thunderstorms pound Texas; tornado hits Austin". Yahoo! News. Reuters. Archived from the original on January 28, 2012. Retrieved January 25, 2012.
  16. ^ "Storm produces tornado in Northeast Austin, damage from flooding across region". Statesman. January 27, 2012. Archived from the original on January 28, 2012. Retrieved January 28, 2012.
  17. ^ "Harveyville Tornado Claims 1 Life". Archived from the original on 2013-01-27. Retrieved 2012-05-01.
  18. ^ "Six now reported dead in southern Illinois tornado". Southern Illinois News. Southernillinois.14wfie.com. 2012-02-29. Archived from the original on 2012-07-30. Retrieved 2012-12-07.
  19. ^ "13 killed as tornadoes rake Midwest states". NBC News. February 29, 2012. Archived from the original on February 29, 2012. Retrieved February 29, 2012.
  20. ^ a b c d "NWS Damage Assessment Toolkit". Archived from the original on April 23, 2020. Retrieved April 18, 2018.
  21. ^ "Storm Prediction Center Mar 1, 2012 1730 UTC Day 2 Convective Outlook". Spc.noaa.gov. 2012-03-01. Archived from the original on March 8, 2012. Retrieved 2012-12-07.
  22. ^ Tornado wrecks Indiana town as Midwest is slammed with severe storms, Fox News, 2012-03-02.
  23. ^ "Tornado-ravaged areas hit by snowstorm". Reuters. 2012-03-05. Archived from the original on April 20, 2016. Retrieved 2012-03-05.
  24. ^ "Hailstone sets state record in Hawaii". USA Today. March 23, 2012. Archived from the original on March 25, 2012. Retrieved March 24, 2012.
  25. ^ National Weather Service (March 9, 2012). "National Weather Service: Stormy weather brings 'unprecedented' hail storms over Hawaii". The Washington Post. Retrieved March 9, 2012.
  26. ^ "Hawaii News Now (KGMB-TV and KHNL-TV)". Archived from the original on March 4, 2016. Retrieved May 26, 2020.
  27. ^ Heflin, Cindy (2012-03-16). "Weather service map pinpoints Southeast Michigan tornado, hail, funnel cloud sightings". Annarbor.com. Archived from the original on March 19, 2012. Retrieved 2012-12-07.
  28. ^ "Columbiaville, Michigan Close to an EF-2 Tornado". OKCStormWatcher's Weather Blog. Okcstormwatcher.wordpress.com. 2012-03-16. Archived from the original on February 3, 2016. Retrieved 2012-12-07.
  29. ^ Behind story from newspaper reporting on: USA Today Archived July 3, 2012, at the Wayback Machine Page, About this day of Tornado in the local.
  30. ^ Weather team Reporting on The Weather Channel Archived 2012-03-17 at the Wayback Machine Website from Tornado in March 15. More Exclusive Details for Reading & Social Online!
  31. ^ Weather Page Reportings from Accuweather News Archived March 17, 2012, at the Wayback Machine, On this page you can find Exclusive Videos before and after the tornado & few pictures and Details too!
  32. ^ "Tornado destroys homes in Dexter, Michigan other areas hit by severe weather" Archived March 17, 2012, at the Wayback Machine
  33. ^ "Dexter Michigan tornado survival stories shared." 2012-03-16 Archived March 18, 2012, at the Wayback Machine
  34. ^ "Devastation in SE Michigan after a tornado moves through". Clickondetroit.com. Archived from the original on 2012-07-24. Retrieved 2012-12-07.
  35. ^ "Video: Devastating damage from tornado near Dexter". Wxyz.com. Archived from the original on 2012-07-15. Retrieved 2012-12-07.
  36. ^ "At least one Texas tornado damages homes, storms cause flooding". Reuters. 2012-03-20. Archived from the original on April 2, 2019. Retrieved July 5, 2021.
  37. ^ Bolden, Michael (April 3, 2012). "Tornados stop air traffic in Dallas". Washington Post. Retrieved May 13, 2022.
  38. ^ "CNN.com Video". CNN. Archived from the original on November 24, 2014. Retrieved September 18, 2021.
  39. ^ Sampson, Matt (2012-04-03). "Tornado Emergencies in Texas". weather.com. Archived from the original on April 3, 2012. Retrieved 2012-12-07.
  40. ^ "Tornadoes tear through Dallas–Fort Worth area". CNN. 2012-04-04. Archived from the original on April 3, 2012. Retrieved 2012-04-03.
  41. ^ "Storm Prediction Center Apr 13, 2012 0600 UTC Day 2 Convective Outlook". www.spc.noaa.gov. Archived from the original on May 20, 2018. Retrieved May 17, 2020.
  42. ^ "Storm hits Iowa hospital; tornado warning issued for Wichita". CNN. April 15, 2012. Archived from the original on August 21, 2013. Retrieved April 15, 2012.
  43. ^ Kevin Darmofal, NWS Wichita Lead Meteorologist (April 20, 2012). "Why NWS Wichita Took Shelter and Requested Service Back-up the Evening of April 14, 2012". National Weather Service. Retrieved April 21, 2012.
  44. ^ Herzmann, Daryl. "IEM :: TOR from NWS OUN". mesonet.agron.iastate.edu. Archived from the original on March 5, 2016. Retrieved May 17, 2020.
  45. ^ "Most Popular E-mail Newsletter". USA Today. April 15, 2012. Archived from the original on April 18, 2012. Retrieved June 15, 2018.
  46. ^ "Deadly tornado hits Woodward at 12:20 a.m." Oklahoman.com. April 15, 2012. Archived from the original on January 15, 2021. Retrieved May 17, 2020.
  47. ^ "May 19th 2012 Tornadoes". Crh.noaa.gov. 2012-05-19. Archived from the original on March 31, 2013. Retrieved 2012-12-07.
  48. ^ Gold, Liz (2012-05-20). "Tornado tears off motel roof in St. Petersburg". Abcactionnews.com. Archived from the original on 2012-07-24. Retrieved 2012-12-07.
  49. ^ https://www.harkphoto.com/05192012.html
  50. ^ https://www.kansascity.com/news/local/article315634.html
  51. ^ "May 25, 2012 Rush County Tornado". Crh.noaa.gov. 2012-05-25. Archived from the original on May 31, 2012. Retrieved 2012-12-07.
  52. ^ "Damage Survey Results for Diehlstadt, MO event June 4, 2012". NWS Paducah. June 5, 2012. Archived from the original on February 3, 2016. Retrieved June 8, 2012.
  53. ^ "Storm Prediction Center 20120623's Storm Reports". Spc.noaa.gov. 2012-06-23. Archived from the original on June 28, 2012. Retrieved 2012-12-07.
  54. ^ "Storm Prediction Center 20120624's Storm Reports". Spc.noaa.gov. 2012-06-24. Archived from the original on June 30, 2012. Retrieved 2012-12-07.
  55. ^ "Tornado Outbreak June 23–24" (PDF). srh.noaa.gov. Archived (PDF) from the original on September 9, 2015. Retrieved June 26, 2012.
  56. ^ "Iowa Environmental Mesonet". Mesonet.agron.iastate.edu. 2012-08-29. Archived from the original on February 3, 2016. Retrieved 2012-12-07.
  57. ^ "Storm Prediction Center 20120829's Storm Reports". Storm Prediction Center. National Oceanic and Atmospheric Administration. 2012-08-29. Archived from the original on September 1, 2012. Retrieved 2012-12-07.
  58. ^ "Preliminary Tornado Survey for 9/1 Storms". National Weather Service in Memphis, Tennessee. National Oceanic and Atmospheric Administration. Archived from the original on February 3, 2016. Retrieved 2012-12-07.
  59. ^ "National Weather Service, Lincoln IL - Summary of Hurricane Isaac Remnants on Central and Southeast Illinois". National Weather Service in Central Illinois. National Oceanic and Atmospheric Administration. Archived from the original on January 26, 2013. Retrieved 2012-12-07.
  60. ^ "September 7–8, 2012 Severe Weather and one Tornado". National Weather Service Wilmington, Ohio. 2012-09-09. Retrieved 2012-12-20.
  61. ^ "2 tornadoes touch down in NYC neighborhoods". Usnews.nbcnews.com. 2012-10-24. Archived from the original on December 15, 2018. Retrieved 2012-12-07.
  62. ^ "Tornado confirmed near Breezy Point in Queens County NY". NWS New York City. Archived from the original on September 8, 2012. Retrieved September 9, 2012.
  63. ^ "Tornado confirmed near Canarsie in Kings County NY". NWS Upton, NY. Archived from the original on March 25, 2010. Retrieved September 9, 2012.
  64. ^ A real New York City cyclone: Rare tornado hits Queens, Brooklyn, NJ.com, September 8, 2012
  65. ^ "Tornado hits Drummondville, thousands lose power in Saturday's storm". Ottawacitizen.com. 2012-09-09. Archived from the original on September 13, 2012. Retrieved 2012-12-07.
  66. ^ "Ontario's 8th tornado of 2012 confirmed". The Weather Network. 2012-01-02. Archived from the original on October 22, 2012. Retrieved 2012-12-07.
  67. ^ "October 17–18 Severe Weather Event". NWS Jackson, MS. Archived from the original on April 19, 2014. Retrieved October 19, 2012.
  68. ^ "Severe Storms on October 17, 2012". NWS Little Rock. Archived from the original on February 3, 2016. Retrieved October 19, 2012.
  69. ^ "EF-0 Tornado confirmed near Jarrettsville, Maryland". NWS Sterling, VA. Retrieved October 23, 2012.
  70. ^ "Lancaster County – Drumore to Paradise tornado October 19, 2012" (PDF). NWS State College, PA. Archived (PDF) from the original on May 10, 2013. Retrieved October 23, 2012.
  71. ^ "The Weather Network – Weak Tornado Strikes Quebec". Archived from the original on 2013-02-04. Retrieved 2023-12-02.
  72. ^ "SPC Storm Reports for 12/09/12". Storm Prediction Center. Archived from the original on December 13, 2012. Retrieved December 11, 2012.
  73. ^ "SPC Storm Reports for 12/10/12". Storm Prediction Center. Archived from the original on December 14, 2012. Retrieved December 11, 2012.
  74. ^ "Severe Weather Event December 10, 2012". National Weather Service New Orleans/Baton Rouge. Archived from the original on September 27, 2015. Retrieved December 12, 2012.
  75. ^ "Walthall County Tornado – December 10, 2012". NWS New Orleans/Baton Rouge. Archived from the original on February 3, 2016. Retrieved December 11, 2012.
  76. ^ "Marion County Tornado". National Weather Service Jackson, Mississippi. Archived from the original on October 29, 2015. Retrieved December 11, 2012.
  77. ^ "Tornado Damage on December 10th, 2012 Birmingham (Jefferson) EF-1 Tornado". National Weather Service Birmingham, Alabama. Archived from the original on December 21, 2012. Retrieved December 11, 2012.
  78. ^ "Edgewater Tornado". National Weather Service Melbourne, Florida. Archived from the original on September 24, 2015. Retrieved December 12, 2012.
  79. ^ "December 25, 2012 0600 UTC Day 1 Convective Outlook". Storm Prediction Center. Archived from the original on November 10, 2013. Retrieved December 25, 2012.
  80. ^ "December 25, 2012 1730 UTC Day 2 Convective Outlook". Storm Prediction Center. Archived from the original on September 24, 2015. Retrieved December 25, 2012.
  81. ^ "SPC Storm Reports for 12/15/12". Storm Prediction Center. Archived from the original on December 28, 2012. Retrieved December 25, 2012.
  82. ^ "KMOB 2012 Tornado Warning #122". 2012-12-25. Archived from the original on April 19, 2011. Retrieved 2012-12-25.
  83. ^ "Public Information Statement". National Weather Service Mobile, Alabama. Archived from the original on December 31, 2012. Retrieved December 27, 2012.
  84. ^ "Tornado at Lido and Sant'Elena". Gazzettino.it. Archived from the original on June 15, 2012. Retrieved 2012-12-07.
  85. ^ "Tornado in Venice". Nuovavenezia.gelocal.it. 2012-06-12. Archived from the original on June 15, 2012. Retrieved 2012-12-07.
  86. ^ "Tornado in Venice (video footage)". Youtube.com. 2012-06-12. Archived from the original on July 29, 2016. Retrieved 2012-12-07.
  87. ^ "Tornado in Venice and on the Venetian Coast: report" (PDF). 2012-06-12. Archived (PDF) from the original on July 10, 2012. Retrieved 2012-12-07.
  88. ^ a b c "European Severe Weather Database". eswd.eu. Archived from the original on August 15, 2020. Retrieved December 21, 2020.
  89. ^ "Poland shocked by tornadoes, one dead". Trust.org. July 15, 2012. Archived from the original on March 13, 2013.
  90. ^ "Żywioł zrywał dachy, wybijał szyby. Jedna osoba nie żyje, 10 rannych - Polska w Kontakt 24". Kontakt 24.
  91. ^ Taszarek, Mateusz; Gromadzki, Jakub (2017). "Deadly Tornadoes in Poland from 1820 to 2015". Monthly Weather Review. 145 (4): 1221–1243. Bibcode:2017MWRv..145.1221T. doi:10.1175/MWR-D-16-0146.1.
  92. ^ "Tornado de Silves" (PDF). Instituto Português do Mar e da Atmosfera, IP. Archived from the original (PDF) on December 2, 2012. Retrieved December 9, 2012."Archived copy" (PDF). Archived from the original (PDF) on 2012-12-02. Retrieved 2012-12-09.{{cite web}}: CS1 maint: archived copy as title (link)
  93. ^ "Freak tornado hits disputed Italy steel plant". The Independent. London. November 29, 2012. Archived from the original on February 3, 2016. Retrieved 2012-11-29.
  94. ^ "Selected data from the database". ESWD European Severe Weather Database. Archived from the original on June 23, 2012. Retrieved December 31, 2012.
  95. ^ "Tornado hits Indonesia, kills five". Xinhua News. New Straits Times. February 25, 2012. Archived from the original on February 28, 2012. Retrieved February 28, 2012.
  96. ^ "European Severe Weather Database". European Severe Storm Laboratory. 2012. Archived from the original on August 25, 2010. Retrieved April 10, 2012.
  97. ^ "Tornado kills six in central Turkey". Today's Zaman. April 9, 2012. Retrieved April 10, 2012.
  98. ^ a b Mashiko, Wataru (2016-03-01). "A Numerical Study of the 6 May 2012 Tsukuba City Supercell Tornado. Part I: Vorticity Sources of Low-Level and Midlevel Mesocyclones". Monthly Weather Review. 144 (3): 1069–1092. Bibcode:2016MWRv..144.1069M. doi:10.1175/MWR-D-15-0123.1. ISSN 0027-0644.
  99. ^ "Quick Report on Damage to Buildings by the Tornado on May 6, 2012 in Tsukuba City, Ibaraki Prefecture, JAPAN" (PDF). May 8, 2012: 17. Archived (PDF) from the original on September 13, 2014. Retrieved September 19, 2018. {{cite journal}}: Cite journal requires |journal= (help)
  100. ^ "Regarding the tornadoes that formed on May 6, Heisei 24 (2012) (Report)" (PDF) (in Japanese). Japan Meteorological Agency. 2012-06-08. Archived (PDF) from the original on August 13, 2013. Retrieved March 27, 2014.
  101. ^ Zhiyong, MEng (June 1, 2014). "Damage Survey, Radar, and Environment Analyses on the First-Ever Documented Tornado in Beijing during the Heavy Rainfall Event of 21 July 2012". journals.ametsoc.org. American Meteorological Society. Archived from the original on May 20, 2021. Retrieved March 21, 2021.
  102. ^ "Picking up the pieces after Townsville's tornado terror". Brisbane Times. June 9, 2012. Archived from the original on March 22, 2012. Retrieved June 9, 2012.
  103. ^ "Aniversario de los históricos tornados que afectaron Buenos Aires". Meteored.com.ar | Meteored (in Spanish). 2019-04-04. Retrieved 2023-12-23.
  104. ^ "Fue un tornado lo que azotó la ciudad". LA NACION (in Spanish). 2012-04-14. Retrieved 2023-12-23.
  105. ^ "Tornado winds were up to 180 km/h - and brace for more wild weather". Perth Now. June 9, 2012. Archived from the original on June 13, 2012. Retrieved June 9, 2012.
  106. ^ "Perth tornado terror". News WA. June 9, 2012.
  107. ^ Hyde, Ben (2012-08-26). "Wind gust rips through Windsor Gardens street leaving a trail of damage". adelaidenow. Archived from the original on September 4, 2012. Retrieved 2012-12-07.
  108. ^ "Auckland tornado kills 3, hits 150 homes". Stuff.co.nz. 2012-12-07. Archived from the original on December 9, 2012. Retrieved 2012-12-07.
  109. ^ "Rare tornado kills 3 in New Zealand's largest city". USA TODAY. 7 December 2012. Retrieved 5 August 2022.