Neolindus triangularis

Neolindus triangularis
Scientific classification Edit this classification
Kingdom: Animalia
Phylum: Arthropoda
Class: Insecta
Order: Coleoptera
Suborder: Polyphaga
Infraorder: Staphyliniformia
Family: Staphylinidae
Genus: Neolindus
Species:
N. triangularis
Binomial name
Neolindus triangularis
Guzman, Tokareva & Żyła, 2024

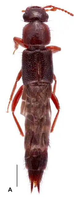
Neolindus triangularis is a species of beetle of the family Staphylinidae. This species is known from the type locality in French Guiana (Saint-Laurent-du-Maroni, Saül, Monts La Fumée), the surrounding forest, and an area around 130 km south-east from the type locality (Cayenne, Matoury).

Description

Adults have a brown head and pronotum, while the legs are light brown and the abdomen is brown.

Etymology

The species name is derived from Latin triangulus (meaning a triangle) and refers to the form of the median lobe of the aedeagus.[1]

References