Leone, American Samoa

Leone
Village
Zion Church (Siona)
Zion Church (Siona)
Etymology: Samoan: le one ("no famine")
Nickname: 
"Leone o le Tinā o le Alofa"[1]
Leone is located in American Samoa
Leone
Leone
Coordinates: 14°20′38″S 170°47′06″W / 14.34389°S 170.78500°W / -14.34389; -170.78500
Country United States
Territory American Samoa
IslandTutuila
DistrictWestern
CountyLealataua
Government
 • TypeVillage Council
Area
 • Total
2.37 sq mi (6.13 km2)
Population
 (2020)
 • Total
1,598
 • Density680/sq mi (260/km2)
Time zoneSamoa Time Zone
ZIP code
96799
Area code+1 684

Leone is the second-largest city on Tutuila Island's west coast.[2] The village is on the south-west coast of Tutuila Island, American Samoa. Leone was the ancient capital of Tutuila Island.[3][4][5][6][7] Leone was also where the Samoan Islands’ first missionary, John Williams, visited on October 18, 1832. A monument in honor of Williams has been erected in front of Zion Church. Its large church was the first to be built in American Samoa. It has three towers, a carved ceiling and stained glass. Until steamships were invented, Leone was the preferred anchorage of sailing ships which did not risk entering Pago Pago Harbor. Much early contact between Samoans and Europeans took place in Leone.[8][9] In the early 20th century, Leone was one of the centers for the Mau movement in American Sāmoa.[10]

The village is home to some of the oldest buildings on Tutuila Island.[2] Besides the oldest church in American Samoa, Leone is home to a post office, high school, Pritchard's Bakery, Noela’s Gas Station and Kruse Supermarket. Buses from Fagatogo to Leone leave every few minutes throughout the year.[4] An airstrip was built at Leone during World War II.[11] The village is home to two historical sites listed on the U.S. National Register of Historic Places: Fagalele Boys School, which may be the oldest building on Tutuila Island, and Tataga-Matau Fortified Quarry Complex.

Until the invention of the motorboat, Pago Pago Harbor was of little value as the ships were unable to turn around in such a confined area. The most common anchorage was therefore in Leone, where the first missionaries also arrived.[12] Its strategic location, directly over the southern horizon from Upolu Island, and the district Atua, has made Leone a major resting port for those traveling between Upolu, Tutuila, and the Manu'a Islands. Leone is now a lively municipal center. The origin of several of Leone's chiefly titles can be traced to Western Samoa.[13]

Etymology

The name originated from a famine that devastated Tutuila Island before modern history. Oral history shared through generations of ancestry recorded that Leone did not experience starvation during this famine; instead, the village had an abundance of food and other necessities, hence the name “Leone” which derives from “Le” (no) and “One” (famine). During the famine, the villagers in Leone provided food and commodities for nearby villages and for families from further away. This earned the village the prestigious title “Leone o le Tinā o le Alofa”, which means “Leone is the Mother of Love.” The village's musical emblem is a living recording of this historical representation.[1] Another source translates the village name Leone in English as "The Sands".[14]

History

Leone, 1907.
Fagalele Boys School in Leone may be the oldest building on Tutuila Island.[15][16]
Leone siapo.
Church in Leone

Leone holds the distinction of being one of American Samoa's oldest settlements.[17] It was the ancient capital of Tutuila Island.[18][19][20] The Leone Quarry, recognized on the U.S. National Register of Historic Places, is among the earliest excavation sites on Tutuila Island, with evidence of occupation dating back to around 200 CE.[21]

In 1980, Jeffrey Clark discovered a potsherd on Malaloto Ridge in Leone, marking the earliest documented prehistoric ceramic uncovered in American Sāmoa.[22] The Tataga-Matau Fortified Quarry Complex, located on a series of ridges inland from Leone, has been the focus of an extensive multi-year research project. This site holds significant archaeological value for understanding the prehistory of Sāmoa. Its importance is further underscored by evidence that adzes produced at this quarry were widely distributed across the Western Pacific.[23]

19th century

On October 18, 1832, when missionary John Williams returned to the Samoan Islands, he dropped anchor in Leone Bay, but did not want to go directly ashore as he feared it was A'asu, site of the massacre of French sailors. Williams was surprised when village chief Amoamo paddled out to his ship to assure him that it would be safe to come ashore.[24][25] The chief explained that a group of Tahitians who had landed at Sapapaliʻi — under the guidance of an Englishman called Viliamu — had already introduced the Christian faith to the local people. When Williams revealed that he was Viliamu, a grand celebration took place within the Samoan-style church at Leone, led by Chief Amoamo.[26] In Leone, Williams went ashore and, though initially startled by what he saw as the people's savage appearance, he was nevertheless warmly welcomed.[27] Later, Leone's Chief Amoamo served as the missionaries’ interpreter and played the most influential role in introducing the Christian faith to Tutuila Island. Williams’ visit made Leone the first village on Tutuila Island to formally receive Christian teachings.[28]

In 1836, Rev. Archibald Wright Murray of the London Missionary Society arrived on Tutuila Island. He stayed in both Leone and Pago Pago before leaving the island in 1849. Reverend Barnden was also assigned to Leone in the 1830s. The missionaries chose to establish their headquarters at Leone. This was the beginning of the formal missionization of Tutuila.[29][30]

In 1836, Englishman Matthew Hunkin married Fatumalala Faiivae of Leone, the daughter of High Chief Faiivae of Leone. Hunkin was among the first Europeans to settle in the Samoan Islands. After building a boat for King Tuimanua in Manua, he lived with a family in Leone. The London Missionary Society granted him the status of assistant missionary, and he later made an attempt to spread the gospel to Niue. Hunkin resigned from the church in 1849 and went on to establish one of Tutuila's first shops in Leone. He also donated land to the church for mission houses in Leone.[31]

On October 11, 1839, Commodore Charles Wilkes of the United States Exploring Expedition visited Leone. Midshipman William Reynolds was assigned surveying duty under Lieutenant Joseph Underwood. In the village, they were introduced to Chief Tuitele, who was happy to welcome them as guests for the night. In his diary, Reynolds described the gentleness and civility of the villagers. He wrote: “I noticed in the men, a fondness & care displayed towards their children,” and went on to write: “While on the beach many huge fellows had infants & babbling youngsters in their arms.” He later questioned whether “these people have more claim to be good than we.”[32][33][34] Reynolds promised Chief Tuetila that he would clothe “him as a Papalangi” (white person) if he would show up to their ship on their return. The chief came, but Captain Charles Wilkes refused to see Chief Tuetila.[35][36]

In 1840, John Jackson (William Diaper), an Englishman from Ardleigh, arrived in Leone. He had been kidnapped months earlier on Taʻū Island while on a whaling voyage and managed to flee on a passing ship. Contemplating a future in Leone, he considered becoming a trader, noting that “the natives were all Christians in this place,” at least nominally, as mission work had begun four years prior. Jackson recounts that he found a woman he wished to marry, but when he asked the missionary to perform the ceremony, his request was denied on the grounds that he would likely not remain and might abandon his wife. Jackson ultimately departed for Fiji, catching a vessel from Pago Pago.[37]

In 1857, due to the large interest among locals for Christianity and its teachings, the Fagalele Boys School was established. The school's purpose was to train locals to become missionaries. Later, the school became a part of the Congregational Christian Church in American Samoa (CCCAS).[38]

In 1862, the Roman Catholic Church was officially established in Leone.[39] The Catholic church arrived in Leone under the stewardship of Father Elloy. The Catholics initially encountered strong opposition from some of the village chiefs.[40] Leone soon became the Catholic seat on Tutuila Island.[41]

On October 8, 1873, U.S. consul Albert Barnes Steinberger arrived in Leone and discovered that High Chiefs Tuitele and Sātele had approved a message from the Taimua — a seven-chief council in Western Sāmoa — addressed to the President of the United States. This message sought advice on preserving Sāmoa's sovereignty and determining its governmental structure.[42]

In 1877, Leone played a central role in the Tutuila War, a conflict driven by deep divisions among Samoans over their government's future. The Apia-based leadership of the Samoan Islands, fearing the rise of the Puletua opposition, sent their delegate Mamea to Washington, D.C., to negotiate with the U.S. During his absence, the Puletua faction launched a rebellion, sparking a war in Tutuila. Government forces in Leone moved to quell the uprising, advancing on Pago Pago where the rebel leader Mauga was located. They burned all buildings in Pago Pago and chased Mauga and his followers to Aunu’u Island. Finding Aunu’u unable to support their forces, the Puletua returned to Tutuila and established a defensive position on the north coast. Reverend Charles Phillips of the LMS persuaded Mauga to surrender, leading the Puletua to retreat to Leone. There, they submitted themselves for several hours before, after a lengthy trial, they were released upon paying fines.[43][44]

In 1883, the Missionary Sisters of the Society of Mary (SMSM) established a school in Leone which later got the name St. Theresa's School.[45][46]

On June 18, 1888, Elder Joseph Henry Dean founded the first branch of the Church of Jesus Christ of Latter-day Saints at Leone.[47]

In 1889, amid the Samoan Civil War, American Colonel William Blacklock notified the U.S. Department of State that Edward Ripley — a chief from Leone — was urging Leone's residents to refuse recognition of Malietoa Laupepa as Sāmoa's king. Identified as a Tupua Tamasese stronghold, Leone continued flying the rebel flag and displaying resistance.[48]

In the 1890s, the Roman Catholic Mission established a school for girls in Leone.[49]

In 1899, when Tutuila Island became part of the United States, the district known as Fofo ma Itulagi included much of the current Western District. Its center was in Leone under the leadership of High Chief Tuitele. Two key orator chiefs, the Olo and the Leoso, represented the Western District. Leoso's residence in Leone bore the name O le Faletele i Sisifo, or "The Great House of the West".[50]

On April 17, 1900, four of Leone's traditional chiefs (PCs Tuitele Penikila and Faiivae Pauga Leta, and HTCs Olo Malaki and Le´oso Fiavivini (Tama Matua)[51]), signed the Deed of Cession. This officially formed the current relationship with American Samoa and the United States. Leone is the only village to have had this unique recognition and honor.[52]

20th century

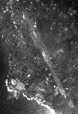
Leone Airfield

In the early 1900s, the Roman Catholics established the Marist Brothers School in Leone as a consequence of the unification of all Tutuila public schools. The Girls School at Leloaloa and the Boys School at Anua, Atu'u were also soon constructed.[53] The all-girl secondary school was constructed by the London Missionary Society (LMS) on the edge of Afao, in Atauloma, which was completed by the year 1900. The building was situated on a 70 feet (21 m) by 116 feet (35 m) concrete slab which faced the sea. It functioned as an educational institution until the 1960s, and in the 1970s, it was leased to the ASG Government, which converted the building into apartments. It fell back in the hands of the LMS in 1995.

In 1903, Fiji William of the schooner Mata’afa tested Pago Pago’s standing as the designated entry port for American Sāmoa by docking in Leone without proper authorization. His actions led to an arrest, a court conviction, and a $50 fine. The ship's owners, Grevhsmuhl and Company of Apia, protested this newfound enforcement — seeing it as an imposition on what had been a free port—and appealed to the U.S. Secretary of the Navy for repayment.[54]

In the early 20th century, the Mau movement became intertwined with the Ripley family's commercial ambitions in Leone. In July 1920, Samuel Sailele Ripley returned to Leone from California for the first time since 1904 with plans to establish a copra plantation on his family's land. However, the Native Lands Ordinance of 1900 prohibited the sale of Samoan land, and the U.S. Navy held a monopoly on copra production in the area. Faced with these obstacles, Ripley aligned himself with the Mau movement and enlisted C.S. Hannum, his wife's former employer in California, to serve as the movement's legal advisor. Hannum initiated extensive correspondence between Sāmoa and Washington D.C., advising the Ripleys to challenge the legitimacy of the U.S. Navy's authority in Sāmoa by claiming it was unofficial, thereby rendering its laws and taxes invalid. The Ripley family sought a comprehensive congressional investigation to stop the U.S. government from exploiting the Samoan people. Samuel Ripley was actively involved with the Mau movement from July until November 1920, when Governor Waldo A. Evans deported him and his wife. A year later, Ripley attempted to return, arriving in Pago Pago, but Governor Evans intercepted him at the dock and deported him once more.[55][56] Ripley was permanently barred from returning to Sāmoa and later became the mayor of Richmond, California.[57][58][59]

In 1920, the roads were in such condition that a roundtrip from Leone to Pago Pago, a distance of around 16 miles (26 km), took an entire day. In 1922, the Leone Rapid Transit began operations, announcing two trips per day at a round trip fare of $2.00. It was a result of $30,000 earmarked for road construction by Governor Waldo A. Evans.[60] A June 8, 1922 report states there was a bus service from Pago Pago to Utulei and from Utulei to Leone. The Leone Rapid Transportation also operated between Fagatogo and Leone. Road conditions were such that it took the whole day to cover the distance of 16 miles (26 km) between Leone and Fagatogo.[61]

From the 1920s until just after World War II, Leone became renowned for its siapo mamanu, a form of barkcloth art. At the center of this thriving tradition was a group of women siapo makers who not only supplied local demand but also produced vibrant, multi-colored pieces for export. Under the leadership of artist Kolone Fai’ivae Leoso, these women created thousands of siapo. Leoso's designs often drew inspiration from the stained glass windows of the Leone Congregational Church. During the late 1920s, they developed an economic connection with Mary J. Pritchard, the daughter of a Samoan mother and a white American father. Pritchard learned the art of siapo from the Leone women and became their link to broader markets, exporting products to traders in Honolulu, Hawai'i. This relationship contributed to Leone's growing reputation for siapo artistry. Leoso, a key figure in this artistic movement, continued to influence the style and production of siapo until her death in 1970.[62][63]

In 1932, Leone was selected as one of four meeting places for the Bingham Commission of the U.S. Congress, which was sent to Pago Pago to study and report on complaints by Samoans against the Naval Administration. As a result of the commission's review, major changes were implemented by the Naval Administration for the betterment of both Tutuila Island and Manu'a.[64] The Bingham Commission's hearings resulted in two major reforms: A Bill of Rights was created, and separation was established between the positions of Judge and Secretary of Native Affairs. The Bill of Rights was drafted by Governors Henry Francis Bryan and Edward Stanley Kellogg and Judge H.P. Wood.[65]

In 1934, Annie Montague Alexander and Louise Kellogg visited Leone during their Pacific expedition. Leone served as their base for collecting specimens. The women spent a week in the forests near Leone, gathering a representative collection for the University of California Museum of Paleontology, which included doves, fruit pigeons, kingfishers, and fruit bats. They attended traditional Samoan festivities, such as siva dances and feasts. The hospitality extended to their accommodations as well, with the women retiring each night to a fale, a traditional guesthouse.[66]

On September 30, 1943, a bomber airstrip known as Leone Airfield was completed in Leone. Today, the site is home to Leone High School and Midkiff Elementary School. The airfield was abandoned in early 1945 due to turbulent air currents and lack of use.[67][68] The airstrip was meant to be a Marine Corps fighter strip, but only a total of two airplanes were able to land and take off before the strip was declared unsafe due to the turbulent air currents.[69][70]

In October 1982, residents in Leone celebrated the 150th anniversary of the first missionary, John Williams. The Catholic Church in town celebrated the 100th anniversary of the Sisters School, which was established in Leone in 1883 by Sisters Mary St. Vincent, St. Claire, and St. Thérese.[71]

Modern times

The highest-ranking Samoan military serviceman to lose his life in the War in Iraq, U.S. Marine Lt. Col. Max Galeai, was killed in Karmah, Iraq on June 26, 2008. He was from Leone and is buried in the village.[72][73]

Leone had the most victims in American Samoa in the 2009 tsunami. A memorial garden - Leone Healing Garden - was created on the Sā Poloa family land, where most of the 11 victims were found.[74] The garden commemorates the loss of the 2009 tsunami that killed 22 and injured hundreds of Leone residents. Located just offshore are remnants of a fishing ship that was damaged by Cyclone Gita in 2018.[2]

In 2011, Leone Post Office was dedicated and replaced an older one destroyed by the 2009 tsunami.[75]

In 2012, Samoa's Prime Minister Tuilaepa Sailele Malielegaoi suggested American Samoa construct a wharf at Leone Bay in order to reduce the travel time between Samoa and Tutuila.[76] It is approximately 40 miles (64 km) between Upolu Island and Tutuila.[77]

In December 2012, a police substation was dedicated in Leone. The new station was constructed with federal funds.[78]

In 2013, Leone commemorated the fourth anniversary of the deadly 2009 tsunami that claimed nine lives in Leone, including two elementary school children. One hundred lanterns were floated at sea in their honor, and the victims were also remembered during church services.[79]

In 2014, the Lepuapua Assembly of God Church in Leone marked its 50th anniversary in April. Several prominent guests attended, including Congresswoman Amata Coleman Radewagen, while a TV crew from KVZK-TV documented the service. The choir performed hymns with musical support from Poe Fagasa and others.[80]

On November 1, 2014, a drive-by shooting took place in Leone. Several gunshots were fired at the front of the Leone Police Substation. No officers or other personnel were injured. Four bullets were later recovered from inside the station. Four men were charged for the shooting, which took place when two police officers were inside the station.[81]

In 2019, the American Samoa Community College’s Agriculture, Community, and Natural Resources (ACNR) partnered with churches to clean up streams at Leone.[82]

Tsunami

Leone Healing Garden

Leone was devastated by a tsunami on September 29, 2009. The tsunami was generated by a magnitude 8.0 undersea earthquake.[83] Eleven people in Leone were killed by the tsunami.[84] The victims were two children and nine adults, including elderly parents. The day of the tsunami is called the “Black Tuesday” and the village has erected a special monument known as Leone Healing Garden (Garden of Healing). The monument is near the seaside of the main road, and it was erected in order to commemorate the passing and to celebrate the lives of those who perished in the tsunami.[85][86][87]

Demographics

Year Population[88]
2020 1,598
2010 1,919
2000 3,568
1990 3,013
1980 1,652
1970 1,657
1960 1,192
1950 851
1940 711
1930 583

The population as of the 2010 U.S. census was 1,919, which was a significant decrease from 3,568 recorded at the 2000 U.S. census. The reason for this population decline was residents relocating to the United States for higher education and employment. Others have returned home to Western Samoa since the closing of Van Camp Tuna Industry in 1997.[1]

The population of Leone went from 1,652 as of 1980 to 3,013 residents in 1990. This increase represented an annual growth rate of around 8.2%. The proportion of residents born outside American Samoa doubled from 1980 to 1990. The village was home to 443 housing units as of 1990. Construction permits were issued for 117 new homes between 1990 and 1995, increasing the number of total housing units to 560.[89]

Geography

Map of western Tutuila where Leone is marked in red.
Leone is notable for its distinctive stone church, which serves as a prominent landmark in the area.[90]
Leone High School

Leone is a village situated southwest on Tutuila Island in American Samoa, reached by Route 1 from Pago Pago. It borders the villages of Puapua and Vailoatai to the south, Malaeloa Aitulagi to the east, and Amaluia to the west. It lies at the foothills of Malaloto Ridge by Leone Bay. Leone Falls and Leone Quarry are inland following Leafu Stream from the coast.[91] It is located in Lealataua County. The village is situated on Leone Bay and the village spreads across flat land on Leone Plain.[2]

It is situated on the southwestern tip of Tutuila Island and is recognized as Fofō County due to its earlier connection to Samoan legends and historical events. It is 13 miles (21 km) west of Pago Pago. Niuavēvē Rock in Leone Bay is an islet with an old coconut tree, enduring natural disasters, generations after generations.[92] Vailoa is located south of the village at Leone Bay, however, its coast consists of a low, rugged coastline, rather than sandy beaches as in Leone.[93]

Pala Lagoon is a long stretch of swamp beginning from the main bridge on the road back to the foot of the mountains. The swamp has been a natural resource for marine life growth and is home to a number of bird species. Aualii Stream and Leafu Stream flow down from Mulimauga Ridge and through the village before discharging into Pala Lagoon. Leone has a large number of mangrove trees which have come back to normal after the destruction caused by the 2009 tsunami. The village is home to large parcels of fertile land used for farming and livestock. The soil is excellent for planting and growing yams of all kinds, bananas, talo, papayas, coconut trees for copra products, vegetables, and many other crops that are sold in grocery stores and at the Fagatogo Market. The coastline of Fagatele, an area in Leone, is made up of lava rocks, which were historically utilized to shape and grind stone tools.[94]

Leone Pala Special Management Area

Leone Pala is a 21-acre mangrove swamp in Leone. It has been designated as a Special Management Area under the American Samoa Coastal Management Act of 1990.[95] Special Management Areas are designated for their unique and irreplaceable habitats. The territory includes two such regions: Leone Pala Lagoon and Nuʻuuli Pala Lagoon.[96] Since 1961, American Sāmoa has witnessed significant changes in its wetlands across different regions. Leone has seen its wetlands diminished by over half since 1961.[97]

In 2013, American Samoa received a $269,000 National Coastal Wetland Conservation Grant. The grant will be used by the American Samoa Department of Commerce in order to restore 18.3 acres (7.4 ha) of coastal wetland habitat in Leone. The Leone wetland area is one of the largest and most important mangrove swamps in American Samoa and was designated as a Special Management Area in 1900.[98]

Dominant vegetation in Leone's mangrove wetland includes the swamp fern, the oriental mangrove, red mangrove, and seashore paspalum.[99]

Leone Falls

Leone Falls is a waterfall with a freshwater pool used for swimming. The waterfall is reached by following the road up past the grey Catholic church near the town center to the end of the pavement. Then follow the dirt path to the head of the valley, where the waterfall is located. An artificial catchment barrier is placed at the bottom, which creates a pool used for swimming. The waterfall is also enhanced by a water pipe on the side of the falls.[4][100] The falls are closed on Sundays due to religious observances.[101]

Barry's Bed & Breakfast is a motel in a quiet residential area of Leone near the waterfalls.[102][103]

Culture

Siapo

A distinctive exception to the generally widespread Samoan tapa motifs emerged in Leone during the 1920s. Under the guidance of Kolone Faiʻvae Leoso, a novel freehand-painted siapo style took shape, employing vibrant colors and frequently circular patterns. Many designs drew inspiration from the stained glass windows of the Leone Congregational Christian Church, while motifs were often named for the leaves of pandanus and breadfruit. Production ceased during World War II due to imposed restrictions. Although rare Leone-style siapo can still be found among families in Western Samoa, these examples appear to have had minimal impact on Western Samoan tapa practices. In the late 1920s, artist Mary J. Pritchard from Pago Pago received instruction from Leone artisans, later leveraging her teaching and entrepreneurial efforts to popularize Leone-style siapo. This approach ultimately evolved into the recognized tapa tradition of American Samoa.[104][105]

In 1984, Mary J. Pritchard published Siapo: Barkcloth Art of Samoa and later showcased her siapo works through exhibitions in Honolulu, Tokyo, Auckland, and New York.[106][107] She further launched an export venture, creating a commercial market in Hawaiʻi for Leone siapo.[108]

Petroglyphs

Leone is one of three places in American Samoa where prehistoric petroglyphs have been discovered. The petroglyphs were the first to be discovered in the territory when they were found during Dr. Yosihiko Sinoto’s archeological site surveys in 1961 and 1962. The petroglyphs include two representations of what is assumed to be two octopuses, fe'e. Another petroglyph is that of a turtle, laumei, while the fourth figure seems to represent a human figure. The petroglyphs are located in the Leone Lagoon on an intrusive shelf of ash called Papaloa. It consists of three shelves separated by two eroded channels of shallow water. The length of the shelf is around 150-200 feet.[109][110]

The Leone Bay petroglyphs take the form of figurative engravings or rock carvings and have been engraved into the stone surface by pecking (hammering the stone with a sharp instrument), bruising (rubbing the surface with another stone), and abrading (a combination of bruising and pecking). In 1966, rock previously covered with algae was exposed and more petroglyphs were discovered. These took the shape of what appeared to be an octopus, a jellyfish, a turtle, and an incomplete human figure.[111]

Politics

Leone has been described as the “capital” of the Western District.[112]

The village council banned the establishment of foreign-owned and operated businesses in 2002.[113]

Economy

As of 2000, there were 47 registered commercial enterprises in the village of Leone. They included 8 grocery stores, 7 bus- and taxi services, 7 retail stores, 5 wholesale operations, 3 professional services, 2 landscaping businesses, 2 bakeries, a cable service business, a janitorial service, a fast-food restaurant, a car repair, a pool hall, a laundromat, a gas station, a commercial diving contractor, a silk screen printing service, and a distributor of amusement machines. Commercial crop production and subsistence farming occur in the Leone watershed.[89]

Leone Quarry

The 50-acre (20 ha) Tatagamatau quarry above Leone is the largest in existence. It has been entered into the U.S. National Register of Historic Places.[114] It is the most important archeological site in all of American Samoa.[4] Various historical artifacts made of stone, some from as far away as Micronesia, have been discovered at this site. Archeologists Helen Leach and Dan Witter investigated the quarry in 1985. They discovered cutting tools, basalt adzes and pre-form tools. The quarry is also home to a star mound, similar to those found in the village of ‘Aoa. The basalt quarry in Leone can be visited. Although it is on community land, the hiking trail is owned by Tony Willis.[91]

The Historic Preservation Office (HPO) did an investigation of the Tatagamatau adze quarry site in Leone, and revealed the site to be the oldest and largest of its kind in western Polynesia. It is also the only fortified adze quarry in the world.[115]

Historical sites

Monument by the sea in Leone

Historical sites in Leone include:[116]

  • Numiatoga (Fagatele), which is an area towards Leone's east coast. From this settlement of the 16th century Tongans, the warriors of Tutuila Island went to war with the Tongans under the leadership of Fuā'autoa, who later became known as Mauga. The Tongans were startled by the surprise attack, and they sailed away and promised to never to return to Tutuila as warriors, but rather as partners and peacemakers.
  • Mauga o Alii (Mountain of Chiefs). In prehistoric times, villagers would hear loud ringing sounds from the middle of the tall mountains behind the village just before the death of a prominent chief. It was a premonition in the premodern days; according to some of the elders, the ringing sounds can still be heard today.
  • A historic monument dedicated to Reverend John Williams is located in front of the Leone Congregational Christian Church (Siona).
  • The Leone Quarry, listed on the U.S. National Register of Historic Places, is one of the earliest excavation sites on Tutuila Island and was occupied as early as 200 CE.[117]
  • Fagalele Boys School, listed on the U.S. National Register of Historic Places, was built in the mid-19th century and is the oldest European-style building on Tutuila Island.[118]
  • Siona Church, the oldest church in American Samoa.[119]

A memorial woman sculpture is located by the sea and was placed there in order to signify the site where the first missionaries arrived in Leone.[120]

Sports

Leone's Moso’oi women's cricket team was the American Samoa national women's cricket champion for several years. The Leone Whites village rugby team has been the American Samoa Rugby Union's champion for a number of years. Leone teams have also participated in softball championship leagues and volleyball tournaments. Several residents of Leone have become football players in the National Football League (NFL), including Joe Salave'a, Gabe Reid, Eddie Siaumau, and Samoa Samoa.[121]

Leone is the birthplace and hometown of Jaiyah Saelua, an American Samoan Soccer player who was the first transgender player to play in a FIFA World Cup qualifier.[122][123]

Landmarks

Education

American Samoa Department of Education operates public schools, including Leone High School and Midkiff Elementary School.

Notable people

References

  1. ^ a b c Fai’ivae, Alex Godinet (2018). Ole Manuō o Tala Tu’u Ma Fisaga o Tala Ave. Amerika Samoa Humanities Council. Page 154. ISBN 9781546229070.
  2. ^ a b c d Clayville, Melinda (2021). Explore American Samoa: The Complete Guide to Tutuila, Aunu'u, and Manu'a Islands. Page 70. ISBN 979-8-5560-5297-0.
  3. ^ Stanley, David (1999). South Pacific Handbook. Moon Handbooks. Page 445. ISBN 9781566911726.
  4. ^ a b c d Swaney, Deanna (1994). Samoa: Western & American Samoa: a Lonely Planet Travel Survival Kit. Lonely Planet Publications. Page 180. ISBN 9780864422255.
  5. ^ Brillat, Michael (1999). South Pacific Islands. Hunter Publishing, Inc. Page 139. ISBN 9783886181049.
  6. ^ Schyma, Rosemarie (2013). Südsee. DuMont Reiseverlag. Page 268. ISBN 9783770176946.
  7. ^ Dini, Massimo and Rossella Righetti (1996). Le isole dell’Eden. Feltrinelli Traveller. Page 238. ISBN 978-88-7108-129-8.
  8. ^ Stanley, David (1999). Moon Handbooks Tonga-Samoa. David Stanley. Page 177. ISBN 9781566911740.
  9. ^ "Leone | American Samoa Attractions".
  10. ^ Chapell, David A. (2000). "The Forgotten Mau: Anti-Navy Protest in American Samoa, 1920–1935". Pacific Historical Review. 69 (2): Page 232. ISSN 0030-8684.
  11. ^ Shaffer, Robert J. (2000). American Samoa: 100 Years Under the United States Flag. Island Heritage. Page 176. ISBN 9780896103399.
  12. ^ Swaney, Deanna (1994). Samoa: Western & American Samoa: a Lonely Planet Travel Survival Kit. Lonely Planet Publications. Page 164. ISBN 9780864422255.
  13. ^ Fai’ivae, Alex Godinet (2018). Ole Manuō o Tala Tu’u Ma Fisaga o Tala Ave. Amerika Samoa Humanities Council. Page 155. ISBN 9781546229070.
  14. ^ Churchill, William (1913). "Geographical Nomenclature of American Samoa". Bulletin of the American Geographical Society. 45 (3): 187–193. doi:10.2307/199273. ISSN 0190-5929. JSTOR 199273.
  15. ^ Eustis, Hamilton Nelson Eustis (1979). Samoa Sketchbook. Hobby Investments. Page 62. ISBN 978-0-9595609-1-6.
  16. ^ "NATIONAL REGISTER OF HISTORIC PLACES INVENTORY - NOMINATION FORM" (PDF). National Park Service. Archived from the original (PDF) on 1 March 2017.
  17. ^ The city trip guide for Pago Pago (2024). YouGuide Ltd. Page 28. ISBN 978-1-83706-279-9.
  18. ^ Taylor, Jennifer and James Conner (2014). Architecture in the South Pacific: The Ocean of Islands. University of Hawaiʻi Press. Page 258. ISBN 978-0-8248-4672-5.
  19. ^ West, Francis James (1961). Political Advancement in the South Pacific: A Comparative Study of Colonial Practice in Fiji, Tahiti, and American Samoa. Oxford University Press. Page 142. ISBN 978-0-598-46332-6.
  20. ^ Wheat, Karen (2016). Pictures of Change in Paradise at the Turn of the 20th Century in American Samoa. Page 23. ISBN 978-0-9979995-0-1.
  21. ^ Stubbs, John and William Chapman (2023). Architectural Conservation in Australia, New Zealand and the Pacific Islands: National Experiences and Practice. Taylor & Francis. ISBN 978-1-003-80794-0.
  22. ^ Best, Simon (2002). Lapita: A View from the East. New Zealand Archaeological Association. Page 78. ISBN 978-0-9597915-7-0.
  23. ^ Hunt, Terry L. and Patrick Vinton Kirch (1993). The To'aga Site: Three Millennia of Polynesian Occupation in the Manu'a Islands, American Samoa. Berkeley, CA: Archaeological Research Facility, University of California, Berkeley. Page 4. ISBN 978-1-882744-01-5.
  24. ^ Shaffer, Robert J. (2000). American Samoa: 100 Years Under the United States Flag. Island Heritage. Page 64. ISBN 9780896103399.
  25. ^ Gray, John Alexander Clinton (1980). Amerika Samoa. Arno Press. Pages 36-37. ISBN 9780405130380.
  26. ^ Neems, Hugh (2014). Beyond The Reef. Lulu Publishers. Page 17. ISBN 978-1-291-73914-5.
  27. ^ Krämer, Augustin (1994). The Samoa Islands: Material culture. University of Hawai'i Press. Page 25. ISBN 978-0-8248-1634-6.
  28. ^ Fai’ivae, Alex Godinet (2018). Ole Manuō o Tala Tu’u Ma Fisaga o Tala Ave. Amerika Samoa Humanities Council. ISBN 978-1-5462-2907-0.
  29. ^ Linnekin, Jocelyn, Hunt, Terry, Lang, Lang and McCormick, Timothy (November 2006). "Ethnographic Assessment and Overview: National Park of American Samoa". Technical Report 152. Page 27. Pacific Cooperative Parks Study Unit. University of Hawaiʻi at Mānoa.
  30. ^ Sunia, Fofo I.F. (2009). A History of American Samoa. Amerika Samoa Humanities Council. Pages 79-80. ISBN 978-1-57306-299-2.
  31. ^ Sunia, Fofō Iosefa Fiti (2001). Puputoa: Host of Heroes - A record of the history makers in the First Century of American Samoa, 1900-2000. Suva, Fiji: Oceania Printers. Pages 53-54. ISBN 982-9036-02-2.
  32. ^ Reynolds, William (2004). The Private Journal of William Reynolds: United States Exploring Expedition, 1838-1842. Penguin Classics. Pages 103-104. ISBN 9780143039051.
  33. ^ Kirk, Robert W. (2012). Paradise Past: The Transformation of the South Pacific, 1520-1920. McFarland. Pages 179-180. ISBN 9780786469789.
  34. ^ Philbrick, Nathaniel (2004). Sea of Glory: America's Voyage of Discovery, The U.S. Exploring Expedition, 1838-1842. Penguin. Page 135. ISBN 9781440649103.
  35. ^ Reynolds, William (2004). The Private Journal of William Reynolds: United States Exploring Expedition, 1838-1842. Penguin Classics. Page 105. ISBN 9780143039051.
  36. ^ Reynolds, William Ane and Anne Hoffman Cleaver (1988). Voyage to the Southern Ocean: the letters of Lieutenant William Reynolds from the U.S. Exploring Expedition, 1838-1842. Naval Institute Press. Page 105. ISBN 9780870213007.
  37. ^ Tcherkézoff, Serge (2008). First Contacts in Polynesia: The Samoan Case (1722-1848). ANU Press. Page 104. ISBN 978-1-921536-02-1.
  38. ^ Fai’ivae, Alex Godinet (2018). Ole Manuō o Tala Tu’u Ma Fisaga o Tala Ave. Amerika Samoa Humanities Council. Pages 158-160. ISBN 9781546229070.
  39. ^ Fai’ivae, Alex Godinet (2018). Ole Manuō o Tala Tu’u Ma Fisaga o Tala Ave. Amerika Samoa Humanities Council. Page 159. ISBN 978-1-5462-2907-0.
  40. ^ Fai’ivae, Alex Godinet (2018). Ole Manuō o Tala Tu’u Ma Fisaga o Tala Ave. Amerika Samoa Humanities Council. Pages 158-160. ISBN 9781546229070.
  41. ^ Pearl, Frederic and Sandy Loiseau-Vonruff (2007). “Father Julien Vidal and the Social Transformation of a Small Polynesian Village (1787–1930): Historical Archaeology at Massacre Bay, American Samoa”. International Journal of Historical Archaeology. 11(1): p. 56. ISSN 1092-7697.
  42. ^ Gray, John Alexander Clinton (1960). Amerika Samoa: A History of American Samoa and its United States Naval Administration. United States Naval Institute. Page 61. ISBN 978-0-87021-074-7.
  43. ^ Gray, John Alexander Clinton (1960). Amerika Samoa: A History of American Samoa and its United States Naval Administration. United States Naval Institute. Page 65. ISBN 978-0-87021-074-7.
  44. ^ Pearl, Frederic and Sandy Loiseau-Vonruff (2007). “Father Julien Vidal and the Social Transformation of a Small Polynesian Village (1787–1930): Historical Archaeology at Massacre Bay, American Samoa”. International Journal of Historical Archaeology. 11(1): pages 37-39. ISSN 1092-7697.
  45. ^ Aitaoto, Fuimaono Fini (2021). Progress and Developments of the Churches in the Samoan Islands: Early 21St Century. LifeRich Publishing. Page 161. ISBN 978-1-4897-3586-7.
  46. ^ Sunia, Fofo I.F. (2009). A History of American Samoa. Amerika Samoa Humanities Council. Page 337. ISBN 978-1-57306-299-2.
  47. ^ "Freedom Run and Obstacle Course back for third year". 11 June 2018.
  48. ^ Gray, John Alexander Clinton (1960). Amerika Samoa: A History of American Samoa and its United States Naval Administration. United States Naval Institute. Page 95. ISBN 978-0-87021-074-7.
  49. ^ Gray, John Alexander Clinton (1960). Amerika Samoa: A History of American Samoa and its United States Naval Administration. United States Naval Institute. Page 173. ISBN 978-0-87021-074-7.
  50. ^ Gray, John Alexander Clinton (1960). Amerika Samoa: A History of American Samoa and its United States Naval Administration. United States Naval Institute. Pages 123-124. ISBN 978-0-87021-074-7.
  51. ^ Sunia, Fofō Iosefa Fiti (2001). Puputoa: Host of Heroes - A record of the history makers in the First Century of American Samoa, 1900-2000. Suva, Fiji: Oceania Printers. Page ix. ISBN 982-9036-02-2.
  52. ^ Fai’ivae, Alex Godinet (2018). Ole Manuō o Tala Tu’u Ma Fisaga o Tala Ave. Amerika Samoa Humanities Council. Pages 158-160. ISBN 9781546229070.
  53. ^ http://americansamoasea.cyberschool.com/District/1112-Untitled.html
  54. ^ Gray, John Alexander Clinton (1960). Amerika Samoa: A History of American Samoa and its United States Naval Administration. United States Naval Institute. Page 179. ISBN 978-0-87021-074-7.
  55. ^ Chapell, David A. (2000). "The Forgotten Mau: Anti-Navy Protest in American Samoa, 1920–1935". Pacific Historical Review. 69 (2): Pages 239-241. ISSN 0030-8684.
  56. ^ Gray, John Alexander Clinton (1960). Amerika Samoa: A History of American Samoa and its United States Naval Administration. United States Naval Institute. Pages 193 and 196-203. ISBN 978-0-87021-074-7.
  57. ^ https://pgcmls.info/asian-pacific-american-heritage
  58. ^ "Passive Resistance of Samoans to U.S. Colonialism" essay (Published in "Sovereignty Matters: Locations of Contestation and Possibility in Indigenous Struggles for Self-Determination" Editor Joanne Barker, 2006). University of Nebraska Press. December 2005. ISBN 9780803251984.
  59. ^ Whitnah, Joseph C. (2012). A History of Richmond, California. Richmond Chamber of Commerce. Page 52. ISBN 978-1-258-47562-8.
  60. ^ Gray, John Alexander Clinton (1980). Amerika Samoa. Arno Press. Pages 200-201. ISBN 9780405130380.
  61. ^ Sunia, Fofo I.F. (2009). A History of American Samoa. Amerika Samoa Humanities Council. Page 211. ISBN 9781573062992.
  62. ^ Droessler, Holger (2022). Coconut Colonialism: Workers and the Globalization of Samoa. Harvard University Press. Page 34. ISBN 978-0-674-26333-8.
  63. ^ Mallon, Sean (2002). Samoan Art and Artists. University of Hawaii Press. Pages 68-70. ISBN 9780824826758.
  64. ^ Fai’ivae, Alex Godinet (2018). Ole Manuō o Tala Tu’u Ma Fisaga o Tala Ave. Amerika Samoa Humanities Council. Page 160. ISBN 9781546229070.
  65. ^ Shaffer, Robert J. (2000). American Samoa: 100 Years Under the United States Flag. Island Heritage. Page 162. ISBN 9780896103399.
  66. ^ Stein, Barbara R. (2001). On Her Own Terms: Annie Montague Alexander and the Rise of Science in the American West. University of California Press. Pages 269-271. ISBN 978-0-520-92638-7.
  67. ^ "Abandoned & Little-Known Airfields: Western Pacific Islands". Archived from the original on 2014-09-04. Retrieved 2017-10-23.
  68. ^ "Chapter XXIV: Bases in the South Pacific". Building the Navy's Bases in World War II: History of the Bureau of Yards and Docks and the Civil Engineer Corps 1940-1946. Vol. 2. Department of the Navy. 1947. p. 22. Retrieved 22 March 2022.
  69. ^ Shaffer, Robert J. (2000). American Samoa: 100 Years Under the United States Flag. Island Heritage. Page 179. ISBN 9780896103399.
  70. ^ Sunia, Fofo I.F. (2009). A History of American Samoa. Amerika Samoa Humanities Council. Page 238. ISBN 9781573062992.
  71. ^ Sunia, Fofo I.F. (2009). A History of American Samoa. Amerika Samoa Humanities Council. Page 337. ISBN 9781573062992.
  72. ^ "Marine leader a 'role model'". Honolulu Star-Bulletin. 29 June 2008. Retrieved 22 March 2022.
  73. ^ "High ranking American Samoa soldier buried today in Leone". 11 July 2008.
  74. ^ "Garden dedicated to American Samoa tsunami victims". 28 February 2012.
  75. ^ "Small post office in American Samoa spared from being closed down". 4 August 2011.
  76. ^ "Tuilaepa favours Leone Bay for new inter-Samoa ferry link". Radio New Zealand. 9 October 2012.
  77. ^ Hills, J.W. (2010). O upu muamua i le Tala i le Lalolagi mo e ua faatoa a'oa'oina u lea mataupu: Elementary Geography. Nabu Press. Page 59. ISBN 9781147952896.
  78. ^ "New police substation for American Samoa". Radio New Zealand. 11 December 2012.
  79. ^ Aitaoto, Fuimaono Fini (2021). Progress and Developments of the Churches in the Samoan Islands: Early 21St Century. LifeRich Publishing. Page 26. ISBN 978-1-4897-3586-7.
  80. ^ Aitaoto, Fuimaono Fini (2021). Progress and Developments of the Churches in the Samoan Islands: Early 21St Century. LifeRich Publishing. Page 153. ISBN 978-1-4897-3586-7.
  81. ^ "Ta'usala moliaga mama ali'i to'afa tu'uaia tafanaina Ofisa Leoleo i Leone". Samoa News.
  82. ^ Aitaoto, Fuimaono Fini (2021). Progress and Developments of the Churches in the Samoan Islands: Early 21St Century. LifeRich Publishing. Page 73. ISBN 978-1-4897-3586-7.
  83. ^ "Quake, tsunami near American Samoa kills at least 22 - CNN.com". www.cnn.com. Retrieved 2023-09-20.
  84. ^ "American Samoa remembers 2009 tsunami". 26 September 2014.
  85. ^ Fai’ivae, Alex Godinet (2018). Ole Manuō o Tala Tu’u Ma Fisaga o Tala Ave. Amerika Samoa Humanities Council. Page 171. ISBN 9781546229070.
  86. ^ "American Samoa village begins building a monument to tsunami victims". 17 November 2010.
  87. ^ Aitaoto, Fuimaono Fini (2021). Progress and Developments of the Churches in the Samoan Islands: Early 21St Century. LifeRich Publishing. Page 183. ISBN 978-1-4897-3586-7.
  88. ^ "American Samoa Statistical Yearbook 2016" (PDF). American Samoa Department of Commerce. Archived from the original (PDF) on 2019-02-14. Retrieved 2019-07-25.
  89. ^ a b "AMERICAN SAMOA WATERSHED PROTECTION PLAN" (PDF). American Samoa Environmental Protection Agency. January 2000. Retrieved 22 March 2022.
  90. ^ U.S. Defense Mapping Agency (1977). "Sailing Directions for the Pacific Islands: Volume 3, the South-central Groups". U.S. Department of Defense. Page 168.
  91. ^ a b Swaney, Deanna (1994). Samoa: Western & American Samoa: a Lonely Planet Travel Survival Kit. Lonely Planet Publications. Page 181. ISBN 9780864422255.
  92. ^ Fai’ivae, Alex Godinet (2018). Ole Manuō o Tala Tu’u Ma Fisaga o Tala Ave. Amerika Samoa Humanities Council. Pages 152 and 154. ISBN 9781546229070.
  93. ^ Krämer, Augustin (2000). The Samoa Islands. University of Hawaii Press. Page 449. ISBN 9780824822194.
  94. ^ Fai’ivae, Alex Godinet (2018). Ole Manuō o Tala Tu’u Ma Fisaga o Tala Ave. Amerika Samoa Humanities Council. Page 170-171 and 156. ISBN 9781546229070.
  95. ^ Goldin, Meryl Rose (2002). Field Guide to the Sāmoan Archipelago: Fish, Wildlife, and Protected Areas. Bess Press. Page 277. ISBN 978-1-57306-111-7.
  96. ^ Aalbersberg, William and Batiri Thaman (2001). Proceedings of the Pacific Regional Workshop on Mangrove Wetlands Protection and Sustainable Use. South Pacific Regional Environment Programme (SPREP). Page 183. ISBN 978-982-04-0251-5.
  97. ^ Aalbersberg, William and Batiri Thaman (2001). Proceedings of the Pacific Regional Workshop on Mangrove Wetlands Protection and Sustainable Use. South Pacific Regional Environment Programme (SPREP). Page 85. ISBN 978-982-04-0251-5.
  98. ^ "U.S. Fish and Wildlife Service Announces $269,000 Grant to Conserve Coastal Wetlands in American Samoa" (PDF). U.S. Fish and Wildlife Service.
  99. ^ "Watershed Management and Protection Program FY17 Annual Report" (PDF). American Samoa Environmental Protection Agency. 14 May 2018. Retrieved 22 March 2022.
  100. ^ Stanley, David (1982). South Pacific Handbook. David Stanley. Page 162. ISBN 9780960332236.
  101. ^ Stanley, David (1989). South Pacific Handbook. Moon Publications. Page 362. ISBN 978-0-918373-29-8.
  102. ^ Stanley, David (1999). Moon Handbooks Tonga-Samoa. David Stanley. Page 181. ISBN 9781566911740.
  103. ^ Swaney, Deanna (1994). Samoa: Western & American Samoa: a Lonely Planet Travel Survival Kit. Lonely Planet Publications. Page 172. ISBN 9780864422255.
  104. ^ Neich, Roger and Mick Pendergrast (2005). Pacific Tapa. University of Hawai'i Press. ISBN 978-0-8248-2929-2.
  105. ^ Neich, Roger and Mick Pendergrast (2001). Tapa of the Pacific. D. Bateman. Page 9. ISBN 978-1-86953-464-6.
  106. ^ Sutter, Frederic Koehler (1989). The Samoans: A Global Family. University of Hawai'i Press. Page 210. ISBN 978-0-8248-1238-6.
  107. ^ Sunia, Fofō Iosefa Fiti (2001). Puputoa: Host of Heroes - A record of the history makers in the First Century of American Samoa, 1900-2000. Suva, Fiji: Oceania Printers. Page 110. ISBN 982-9036-02-2.
  108. ^ Pritchard, Mary J. (1984). Siapo: Bark Cloth Art of Samoa. American Samoa Council on Culture, Arts and Humanities. Page 17. ISBN 978-0-8248-1026-9.
  109. ^ Kikuchi, William K. (1967). "ADDITIONAL PETROGLYPHS FROM AMERICAN SAMOA". Journal of the Polynesian Society. 76 (3): 372–373.
  110. ^ Kikuchi, William K. (1964). "PETROGLYPHS IN AMERICAN SAMOA". Journal of the Polynesian Society. 73 (2): 163–166.
  111. ^ Mallon, Sean (2002). Samoan Art and Artists. University of Hawaii Press. Pages 31-32. ISBN 9780824826758.
  112. ^ Hills, J.W. (2010). O upu muamua i le Tala i le Lalolagi mo e ua faatoa a'oa'oina u lea mataupu: Elementary Geography. Nabu Press. Page 61. ISBN 9781147952896.
  113. ^ "American Samoa village says no to foreign businesses". 25 September 2002.
  114. ^ Sunia, Fofo I.F. (2009). A History of American Samoa. Amerika Samoa Humanities Council. Page 357. ISBN 9781573062992.
  115. ^ Shaffer, Robert J. (2000). American Samoa: 100 Years Under the United States Flag. Island Heritage. Page 200. ISBN 9780896103399.
  116. ^ Fai’ivae, Alex Godinet (2018). Ole Manuō o Tala Tu’u Ma Fisaga o Tala Ave. Amerika Samoa Humanities Council. Pages 156 and 158. ISBN 9781546229070.
  117. ^ Stubbs, John and William Chapman (2023). Architectural Conservation in Australia, New Zealand and the Pacific Islands: National Experiences and Practice. Taylor & Francis. ISBN 978-1-003-80794-0.
  118. ^ Stanley, David (2000). South Pacific Handbook. Avalon Travel Publishing. Page 445. ISBN 978-1-56691-172-6
  119. ^ Hunt, Errol (2000). South Pacific. Lonely Planet. Page 395. ISBN 978-0-86442-717-5.
  120. ^ Fai’ivae, Alex Godinet (2018). Ole Manuō o Tala Tu’u Ma Fisaga o Tala Ave. Amerika Samoa Humanities Council. Page 157. ISBN 9781546229070.
  121. ^ Fai’ivae, Alex Godinet (2018). Ole Manuō o Tala Tu’u Ma Fisaga o Tala Ave. Amerika Samoa Humanities Council. Page 169. ISBN 9781546229070.
  122. ^ OFCMedia (2 March 2018). "Saelua's homecoming". Oceania Football Confederation. Retrieved 15 April 2020.
  123. ^ Geoghegan, Kev (6 May 2014). "Next Goal Wins for 'world's worst football team'". BBC News. Retrieved 15 April 2020.
  124. ^ Eustis, Hamilton Nelson Eustis (1979). Samoa Sketchbook. Hobby Investments. Page 62. ISBN 978-0-9595609-1-6.
  125. ^ Hunt, Errol (2000). South Pacific. Lonely Planet. Page 395. ISBN 978-0-86442-717-5.
  126. ^ Stanley, David (1982). South Pacific Handbook. David Stanley. Pages 160 and 162. ISBN 9780960332236.
  127. ^ Goodwin, Bill (2006). Frommer's South Pacific. Wiley. Page 402. ISBN 9780471769804.
  128. ^ Dalton, Bill and David Stanley (1979). South Pacific Handbook. David Stanley. Page 68. ISBN 9780804813136.
  129. ^ Sunia, Fofō Iosefa Fiti (2001). Puputoa: Host of Heroes - A record of the history makers in the First Century of American Samoa, 1900-2000. Suva, Fiji: Oceania Printers. Page 173. ISBN 982-9036-02-2.
  130. ^ Sutter, Frederic Koehler (1989). The Samoans: A Global Family. University of Hawai'i Press. Page 195. ISBN 978-0-8248-1238-6.
  131. ^ Sutter, Frederic Koehler (1989). The Samoans: A Global Family. University of Hawai'i Press. Page 211. ISBN 978-0-8248-1238-6.
  132. ^ Sunia, Fofō Iosefa Fiti (2001). Puputoa: Host of Heroes - A record of the history makers in the First Century of American Samoa, 1900-2000. Suva, Fiji: Oceania Printers. Page 135. ISBN 982-9036-02-2.
  133. ^ Sunia, Fofō I. F. (1998). The Story of the Legislature of American Samoa. Legislature of American Samoa. Page 266. ISBN 978-982-9008-01-5.
  134. ^ Sunia, Fofō Iosefa Fiti (2001). Puputoa: Host of Heroes - A record of the history makers in the First Century of American Samoa, 1900-2000. Suva, Fiji: Oceania Printers. Page 55. ISBN 982-9036-02-2.
  135. ^ Sunia, Fofō Iosefa Fiti (2001). Puputoa: Host of Heroes - A record of the history makers in the First Century of American Samoa, 1900-2000. Suva, Fiji: Oceania Printers. Page 111. ISBN 982-9036-02-2.
  136. ^ Sunia, Fofō Iosefa Fiti (2001). Puputoa: Host of Heroes - A record of the history makers in the First Century of American Samoa, 1900-2000. Suva, Fiji: Oceania Printers. Page 174. ISBN 982-9036-02-2.
  137. ^ Sutter, Frederic Koehler (1989). The Samoans: A Global Family. University of Hawai'i Press. Page 168. ISBN 978-0-8248-1238-6.
  138. ^ Sutter, Frederic Koehler (1989). The Samoans: A Global Family. University of Hawai'i Press. Page 210. ISBN 978-0-8248-1238-6.

14°20′38″S 170°47′06″W / 14.34389°S 170.78500°W / -14.34389; -170.78500